10, rue Paul Janet
Rue Paul Janet n° 10 – X 188 (Blondel), O 941, ensuite section 31 parcelle 14 (cadastre)
Maison reconstruite en 1762, maître d’ouvrage Jean Heiligenstein, charpentier, maître maçon Jean Lingenhœlin – démolie en 1881
Maison reconstruite en 1882, propriétaire et entrepreneur Jacques Klein


Le n° 10 en novembre 2025 – Détail (avril 2026)
Le maréchal ferrant Chrétien Wendennagel vend en 1586 la maison au jardinier Sébastien Klugshertz au nom duquel elle est inscrite au Livre des loyers communaux ; une treille se trouve le long de la rue. Elle appartient jusqu’en 1761 à des jardiniers, sauf deux interruptions suite à des adjudications judiciaires. Le maître charpentier Jean Heiligenstein achète la maison en 1761, il la fait reconstruire en 1762-1763 par le maître maçon Jean Lingenhœlin après avoir été autorisé à avancer la limite de propriété pour l’aligner avec ses voisins. Il fait réparer sa maison en 1789 par le maître maçon Philippe Ketterer. Il fait donation de la maison en 1784 à sa fille Marie Salomé lors de son mariage avec le charpentier Jean Daniel Fritz en s’y réservant la jouissance d’un logement.

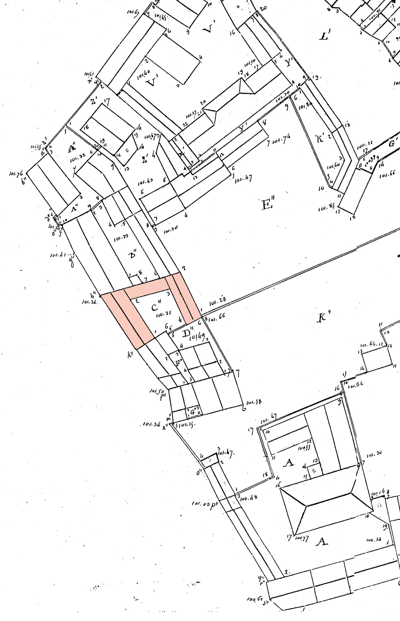
La rue des Bestiaux sur le plan-relief de 1727 (Musée historique). La maison se trouve au milieu de l’alignement de gauche

Elévations préparatoires au plan-relief de 1830, îlot 235 (Musée des Plans-relief) 1
L’Atlas des alignements (années 1820) mentionne une maison à rez-de-chaussée et étage en bois. Sur les élévations préparatoires au plan-relief de 1830, la façade (h’’-k’’) a trois fenêtres de part et d’autre de la porte cochère au rez-de-chaussée, huit fenêtres à l’étage. Il y a trois lucarnes au milieu de la toiture. La cour (C’’) montre l’arrière (1-2) de la façade sur rue, le bâtiment latéral (2-3) à l’est, le bâtiment (3-4) au fond de la cour puis la propriété voisine (4-1). La cour (E’’) montre l’arrière (1-2) du bâtiment au fond de la cour, la porte cochère donnant accès au grand jardin.
La maison porte d’abord le n° 40 (1784-1857) puis le n° 10.





Plan – Cours C’‘ et E’’
Plan joint à l’échange Klein-Zocher (1881, acte Lœw, ADBR cote 7 E 57- 8, 114), voir aussi les plans à la notice du n° 8 – Coupe jointe à la demande de construire (1882, AMS dossier 949 W 73)
Les biens de Jean Daniel Fritz reviennent au dernier survivant de ses enfants Jean Guillaume Fritz qui institue l’architecte Charles Auguste Schoop pour son héritier universel (voir le n° 8). Charles Auguste Schoop fait démolir la maison et sa voisine (n° 8) et vend le terrain à l’entrepreneur de bâtiment Jacques Klein qui est autorisé en 1882 à construire un nouveau bâtiment sur le terrain des anciens n° 8 et 10. Jacques Klein vend en 1884 le nouveau bâtiment (n° 10) au voyageur de commerce Jacques Lœb. Raymond Muller et Berthe Herrmann font aménager en 1948 un logement au quatrième étage sur les plans du Service municipal d’architecture.

Vue de la cour (2007, dossier 1684 W 980)
avril 2026
Sommaire
Cadastre – Police du Bâtiment – Relevé d’actes
Récapitulatif des propriétaires
La liste ci-dessous donne tous les propriétaires de 1576 à 1952. La propriété change par vente (v), par héritage ou cession de parts (h) ou encore par adjudication (adj). L’étoile (*) signale une date approximative de mutation.
| Chrétien Wendennagel, maréchal ferrant, et (v. 1560) Odile Herold – luthériens | ||
| 1586 | v | Sébastien Klugshertz, jardinier, et (1564) Agnès von Steinberg – luthériens |
| 1595 | v | Barthélemy Pfenning, jardinier, et (1589) Brigitte Schultheiss – luthériens |
| 1599 | v | Thiébaut Müll, jardinier, et (1596) Aurélie Schultheiss puis (1635) Chrétienne Wild, d’abord (1598) femme de Matthieu Schultheiss – luthériens |
| 1640 | v | Pierre Bimler, pasteur à Kürzell, et (1611) Marguerite Kohler, (1630) Elisabeth Klugshertz, d’abord (1630) femme du notaire Valentin Büchler, puis (1640) Anne Marie Grasmann – luthériens |
| 1644 | v | Jacques Schmidt, jardinier, et (1638) Anne Schultheiss – luthériens |
| 1654* | v | Grégoire Biccius, professeur ès institutions et pandectes, et (1638) Sara Kohllœffel – luthériens |
| 1675 | v | Georges Schultz, jardinier, et (1671) Chrétienne Kleinlogel – luthériens |
| 1706 | h | Michel Schultz, jardinier, et (1699) Aurélie Schœllhammer – luthériens |
| 1751 | h | Valentin Ernwein, jardinier, et (1746) Catherine Schultz puis (1760) Madeleine Pfister, veuve de Georges Herrlé, remariée (1769) avec Antoine Gass – luthérien puis catholique |
| 1761 | v | Jean Heiligenstein, charpentier, et (1754) Marie Elisabeth Hetzel – luthériens |
| 1784 | h | Jean Daniel Fritz, charpentier, et (1784) Marie Salomé Heiligenstein – luthériens |
| 1822 | h | Jean Guillaume Fritz, charpentier, célibataire († 1879) |
| 1880 | h | Charles Auguste Schoop, architecte, et (1854) Eugénie Ott |
| 1882 | v | Jacques Klein, menuisier, entrepreneur en bâtiment, et (1847) Anne Marie Bachmann |
| 1884 | v | Jacques Lœb, voyageur de commerce, et (1872) Sophie Richert |
| 1903 | v | Caroline Mühlbacher et (1873) Guillaume Trensz, commis négociant, puis (1881) Michel Christophe Herrmann, serrurier |
| 1920* | h | Raymond Müller, ingénieur, et (1910) Berthe Herrmann. |
Valeur de la maison selon les billets d’estimation : 150 livres en 1706, 250 livres en 1751 – Valeur vénale, 430 livres en 1751, 500 livres en 1761
(1765, Liste Blondel) X 188, Jean Heiligenstein
(Etat du développement des façades des maisons, AMS cote V 61) Heiligenstein, 9 toises, 4 pieds et 3 pouces
(1843, Tableau indicatif du cadastre) O 941, Fritz, Daniel, hér. charpentier – maison, sol – 17 ares
Livres des communaux
1587, Livre des communaux (VII 1450) f° 507
Le jardinier Sébastien Klugshertz règle 9 sols 8 deniers pour sa maison qu’il loue au journalier André Sigel, à savoir une marche en pierre (4 pieds de long, saillie de 1 pied ½), à côté de la maison une treille sur sept montants (45 pièces de long, 7 pieds de large) et un évier (saillie de 1 pied).
Il pose en outre un petit tas de fumier sur le communal dont il paie 2 sols.
Vff der Andern seitten beim Newen Thor an Claus Murrlins Hoffstatt vnd Gartten, dauon Er Jars diser Statt Zinst 15 ß d. von dem Marckstein Num° 5. angemessen wider Krautten Auw hinein.
Bastian Klugshertz der Garttner hatt vor seinem Hauß, darinnen Andres Sigel der Taglöhner sitzt, ein steinen Tritt iiij schu lang, i+ schu herauß, Nebendts ahne dem Hauß ein Rebhelden vf vij Stützen xlv schu lang, vij schu breit, mit truchtern Oben herauß geladen, Vndt ein wasserstein j schu herauß vff das Allmendt, bessert & ix ß. viij d.
Er hatt auch ein Heüfflin Mist daselbst vff dem Allmendt ligen, vndt bessert für den Mist, ij ß d.
Préposés au bâtiment (Bauherren)
1762, Préposés au bâtiment (VII 1410)
Le maître charpentier Jean Heiligenstein demande l’autorisation de construire sur le communal pour que l’alignement suive celui de son voisin. Les préposés l’autorisent à empiéter de 13 pouces en haut, 15 pouces au milieu et 2 pouces en bas. Le terrain faisant 64 pieds de long et la surface 55 pieds carrés, la redevance est fixée à un loyer annuel de 3 sols ou un capital de 6 livres.
(f° 43-v) Dienstags den 26. 8.bris 1762. Augenschein eingenommen – Johannes Heiligenstein
in der Gaß beÿm Capuciner Closter an Johannes Heiligenstein des Zimmermeisters hauß welcher umb erlaubnus gebetten etwas weniges Auff das Allmendt herauß Zu bauen, mit seinem nachbarn in eine gerade flucht Zu Kommen.
Erkannt, wird dem Imploranten erlaubt oben 13. Zoll in der Mitte 15 Zoll und unten 2 Zoll breit auff d. Allmendt heraus Zu fahren, welches plätzlein nach seiner länge so 64 schuh ist 55 quadrat schuh in sich haltet gegen bezahlung 3 ß jährlichen boden Zinnßes, oder 6. lb d. ein für alle mahl.
1771, Préposés au bâtiment (VII 1414)
Le maître maçon Linckenhœliin est autorisé à repeindre en gris perle la maison de Jean Heiligenstein près des Grands Capucins.
(f° 75) Dienstags den 9. Aprilis 1771. – Joh. Heiligenstein
Hrn Linckenhöle dem Maurer wird erlaubt Johannes Heiligensteins Haus beÿ den grosen Capucinern gelegen Perlfarb anzustreichen.
1789, Préposés au bâtiment (VII 1423)
Les préposés font grief au maître maçon Ketterer d’avoir fait des travaux sans autorisation à la maison du charpentier Jean Heiligenstein vis à vis du jardin Franck. Le propriétaire déclare qu’il a fait réparer le toit et les murs en galandure, colmater les fissures et peindre la façade. Il ne pensait pas qu’une autorisation soit nécessaire pour réparer sa maison construite en 1762. Comme le maître maçon n’en est pas à sa première négligence, les préposés limitent par faveur spéciale l’amende à trois florins en l’avertissant que la prochaine infraction sera punie d’une amende de 50 écus.
(f° 243-v) Dienstags den 21. Aprilis 1789 – Meister Ketterer, der Maurer wird wegen ohne erlaubnus vorgenommenen reparationen an meister Johannes Heiligensteins Behaußung gestrafft
Alexander Colin der aufseher auf das Allignement klagt wieder Meister Ketterer den Maurermeister, daß derselbe an Johannes Heiligenstein des Zimmermanns behaußung gegen dem geweßten Ammeister Franckischen Garthen über, ohne erhaltene erlaubnus reparationen vorgenommen, producirt den dewegen errichteten Procès verbal, Meister Ketterer Zu gegen sagt zu seiner Verantwortung, daß er nicht gewußt, daß man wegen kleinen reparationen an einem Hauß so in dem Allignement stehe alle Zeit anfragen müß, Meister Heiligenstein hingegen producirt desfalls Memoriale mit bitten, da er just den Maurer auf dem dach gehabt so habe er ihn unten an seiner behaußung, die theils Losch gewordenen theils ruinirte riegelwände, wieder zu repariren, die ritzen am Holtzwerck verstreichen und die Farb wieder ausbeßern laßen damit er vor nächtlichem einbruch gesichert seÿn mochte, er glaube weil sein hauß nach dem Allignement erst A° 1762. erbaut worden, nicht nöthig gehabt Zu haben deswegen besondere Anfrage Zu thun, und bittet gehorsamst aller ahndung desfalls entlaßen Zu werden, da nun bemerckt worden, daß Meister Ketterer wegen ähnlichen fällen schon mehrmalen gestraft worden, als wurde Erkannt, Seÿe Meister Ketterer, aus besonderer genade nur um dreÿ Gulden Zu straffen, demselben aber an Zu Zeigen, daß derselbe im wieder betrettungs fall ohne nachsicht und ohnausbleiblich mit einer straffe von 50 thaler belegt werden solle.
Préposés aux feux (Feuerherren, 4 R 91)
Le maître maçon Linckenheil expose les travaux qu’il va faire rue des Poules chez le maître charpentier Heiligenstein, à savoir un poêle donnant dans la rue au premier et au deuxième étage, à l’arrière une cuisine avec un fourneau et une hotte, les tuyaux étant à bonne distance des pièces en bois.
(f° 5) Sambstags d. 5. Martii 1763 – Heiligenstein
Meister Heiligenstein der burger und Zimmermann, will in seinem ane der Hennengaß gelegenen hauß im 1.ten und 2.ten stock Jedes mahl eine stuben gegen der gaß hinten daran eine Kuche mit herd und Camin schoß, die rohr mitten durch das gebäu Von allem holtz entfernt. Erkannt Willfahrt. Mstr. Linckenheil
Description de la maison
Aucune description n’est conservée
Atlas des alignements (cote 1197 W 37)
4° arrondissement ou Canton est – Rue des Bestiaux
nouveau N° / ancien N° : 8 / 40
Fritz
Rez de chaussée et 1° étage médiocre en bois
(Légende)
Cadastre
Cadastre napoléonien, registre 25 f° 329 case 3
Fritz Daniel, les héritiers rue de l’abreuvoir N° 40
O 9431, maison, sol, O 942 jardin, Rue des bestiaux 40
Contenance : 17 et 17,50 (total 34,50)
Revenu total : 335,74 (315 – 8,84 – 11,90)
Ouvertures, portes cochères, charretières : 1 / 1
portes et fenêtres ordinaires : 63 / 50
fenêtres du 3° et au-dessus :
Cadastre napoléonien, registre 27 f° 1151 case 1
Fritz Daniel, les héritiers
1881/82 Schoop Karl August
1883/84 Klein Jakob, Bauunternehmer
1885/86 Loeb Jakob, Reisender
O 941, Maison, sol, Rue des bestiaux 10 – O 942, jardin
Contenance : 17 (sol), 17,50 (jardin), total 34,50
Revenu total : 335,74 (315 – 8,84 – 11,90)
Folio de provenance : (319)
Folio de destination : Abbruch – (sol) 1124, 1130, 1151.p, zum Wege) – (jardin) 1124, 1126, 1151.p, zum Wege
Année d’entrée :
Année de sortie : 1882/83
Ouvertures, portes cochères, charretières : 1
portes et fenêtres ordinaires : 63
fenêtres du 3° et au-dessus :
O 941.p, sol, jardin, sol, Fritzgasse
Contenance : 0,75 – 5,70 – 0,90 (total 7,35)
Revenu total : 0,39 et 3,88
Folio de provenance : 1151.p
Folio de destination :
Année d’entrée : 1882/83
Année de sortie : 1883/84
Ouvertures, portes cochères, charretières :
portes et fenêtres ordinaires :
fenêtres du 3° et au-dessus :
1882, Diminutions- ders. [Schoop Carl August], P 1451-I, O 941, maison, revenu 315, Abbruch, supp.en 1881
ders., P 1451-I, O 941.p, sol 4,00, revenu 2,08, zur öffentlicher Weg, 1881
O 941.p, O 941.p, sol, maison, Viehgasse 10
Contenance : 1,66 – 0,90
Revenu total : 351,33 (350 – 0,47 – 0,86)
Folio de provenance : 1151.p, 1184, Neubau
Folio de destination : Abbruch – (sol) 1124, 1130, 1151.p, zum Wege) – (jardin) 1124, 1126, 1151.p, zum Wege
Année d’entrée :
Année de sortie : 1882/83, 1884/86, 1886/7
Ouvertures, portes cochères, charretières :
portes et fenêtres ordinaires : 45
fenêtres du 3° et au-dessus :
1886, Augmentations – Loeb Jacob f° 1151-I, O 941, maison, Reinertrag 350, Neubau, vollendet 1883, steuerbar 1886/87, besteuert 1886/87
Cadastre allemand, 30 page 392 case 4
Parcelle, section 31, n° 14 – autrefois O 941.p
Canton : Viehgasse Hs N° 10 – Frankengartengasse – Rue Paul Janet
Désignation : Hf, Whs u. N.G.
Contenance : 2,29
Revenu : 2800
Remarques :
(Propriétaire jusqu’à l’exercice 1904), compte 778
Loeb Jakob
(gelöscht 1904)
(Propriétaire à partir de l’exercice 1904), compte 532
Herrmann Michael Christoph Ww.
1920 Müller Raymond Ingenieur Ehefrau Bertha geb. Herrmann
(3075)
1789, Enquête préparatoire à l’Etat des habitants (cote VII 1295)
Canton VIII, Pres le Jardin de Mr le Baron de Franck
40. Pr. Fritz, Daniel, marié – Charpentiers
Loc. Heiligenstein, Jean, veuf – Charpentiers
1789, Etat des habitants (cote 5 R 26)
Canton VIII, Sur le Jardin de M. le Baron de Franck (p. 520)
40. Prop. Fritz, Daniel, marié – Charpentiers
Loc. Heiligenstein, Jean, veuf – Charpentiers
Annuaire de 1905
Verzeichnis sämtlicher Häuser von Strassburg und ihrer Bewohner, in alphabetischer Reihenfolge der Strassennamen (Répertoire de toutes les maisons de Strasbourg et de leurs habitants, par ordre alphabétique des rues)
Abréviations : 0, 1,2, etc. : rez de chaussée, 1, 2° étage – E, Eigentümer (propriétaire) – H. Hinterhaus (bâtiment arrière)
Viehgass (Seite 185)
(Haus Nr.) 10
Hügel, Konzertmeister. 02
Limbert, Leutnant. 0
Treutler, Telegr.-Anw. 0
Stark, Referendar. 1
Stümer, Hegemstr. a. D. 1
Menger, Leutnant. 2
Dossier de la Police du Bâtiment (cote 949 W 73)
10, rue Paul-Janet (1882-1996)
L’entrepreneur de bâtiment J. Klein est autorisé en juin 1882 à construire un nouveau bâtiment qui aura 22 mètres vers la rue des Bestiaux et 23 mètres vers la rue Fritz, la hauteur sous corniche étant de 13,88 mètres. Le propriétaire Loeb fait convertir deux portes en fenêtres en 1889 (remarque, la longueur des façades rue des Bestiaux correspond aux n° 8 et 10.
Les propriétaires Raymond Muller et Berthe Herrmann font aménager en 1948 un logement au quatrième étage sur les plans du Service municipal d’architecture.
Chrétien Moignet est autorisé en 1995 à aménager deux fenêtres dans la toiture. Le syndic de la copropriété déclare l’année suivante que les travaux ont eu lieu sans son consentement.
1914, Emma Molter, manucure et pédicure
Sommaire
- 1882 (juin) – L’entrepreneur de bâtiment J. Klein demande l’autorisation de construire un nouveau bâtiment qui aura 22 mètres vers la rue des Bestiaux et 23 mètres vers la rue Fritz, la hauteur sous corniche étant de 13,88 mètres, selon la coupe en marge. – Rapport de l’agent voyer
- 1889 – L’agent municipal fait remarquer que l’entrepreneur Klein fait convertir deux portes en fenêtres dans la maison à l’angle des rues (10, rue des Bestiaux) – Croquis d’une fenêtre – Courrier du maire à l’entrepreneur
Les architectes et entrepreneurs J. et E. Klein (demeurant 9, rue Fritz) déposent une demande sur papier à lettre de la société – Autre demande sur papier timbré, faite au nom du propriétaire Loeb. – Autorisation - 1890 (juin) – Le maire notifie Jacques Loeb de faire ravaler la façade – Travaux terminés, octobre
- 1914 – La manucure et pédicure Emma Molter (10, rue du Jardin Franck) demande l’autorisation de poser une enseigne plate – La Police du Bâtiment note que l’enseigne se trouve sur la grille du balcon au premier étage – Autorisation – L’enseigne est posée puis retirée
- 1916 – Rapport d’intervention des pompiers. Un feu de cheminée dû à un dépôt de suie s’est déclaré dans la propriété de la veuve Herrmann – Les locataires déclarent que la cheminée a été ramonée.
- 1916, Commission des logements militaires. Remarques en deux points (punaises dans le logement Lunkewitz au deuxième étage) – Travaux terminés, avril 1916
- 1948 – La Division I transmet à la Division V une demande de permis de construire au nom de Raymond Muller et de Berthe Herrmann, l’autorisation préalable ayant été accordée par le Ministère de la Reconstruction et de l’Urbanisme. Les travaux consistent à aménager un logement de trois pièces et cuisine au quatrième étage – Plan du Service municipal d’architecture – Autorisation – Travaux terminés, juin 1948 – Certificat de conformité, août 1948
- 1973 – L’entreprise de crépissage Léonard Tomat (2-a, route de Lingolsheim à Eckwersheim) est autorisée à poser un échafaudage sur la voie publique (9 mètres rue Paul-Janet, 22 mètres rue Fritz)
- 1995 – Chrétien Moignet demande l’autorisation d’aménager deux fenêtres dans la toiture (section 31 n° 14) – Dessin (logement à l’angle des rues), photographies prises de la place du Foin, photographies du toit) – Plan d’arpentage – L’architecte des Bâtiments de France émet un avis favorable, sous réserve que les dimensions n’excèdent par 79 sur 98 centimètres – Le maire ne s’oppose pas aux travaux, décembre 1995 – Travaux terminés, janvier 1996.
1996 (mars) – Le syndic de la copropriété déclare qu’il n’a donné aucune autorisation à Chrétien Moignet et demande l’annulation du permis – Courrier de l’adjoint au maire Klotz à Chrétien Moignet qui devra apporter la preuve qu’il est seul propriétaire de l’immeuble ou qu’il détient l’autorisation des autres copropriétaires.
Dossier de la Police du Bâtiment (cote 1684 W 980)
10, rue Paul-Janet (2007-2008, déclaration de travaux, ouvertures dans la toiture)
Les conjoints Ebobissé Lemarquand font relier l’appartement du troisième étage à une pièce dans les combles et aménager des verrières sous la direction de l’architecte Ernest Boos
Sommaire
- 2007 – L’architecte Ernest Boos transmet au nom des conjoints Ebobissé Lemarquand un projet consistant à relier l’appartement du troisième étage à une pièce dans les combles et à aménager des verrières.
Photographies, atelier d’architecture Ernest Boos (14, place Saint-Etienne), vues de la façade sur rue, de la façade sur cour
Dessins de l’étage supérieur, façades sud-est et nord-est, façade nord-ouest (arrière), plan des appartements, plan des combles, coupes, avant et après travaux – Croquis
Transformation de deux appartements, maître d’ouvrage Ebobissé Lemarquand
Autre dossier
10, rue Paul-Janet (1996, plainte) cote 949 W 72
Relevé d’actes
La maison appartient au maréchal ferrant Chrétien Wendennagel et à sa femme Odile qui font baptiser une fille en 1579
Baptême, Saint-Guillaume (luth. f° 35-v)
1579. Am Sontag vt supra [nach den H. Christag] Christman Wendennagel ein schmidt seines Hantwercks * am Newenthor, Ottilia – Christina – Jerg ein lator* wonhafft in er Steinstraßen vnden am Jungen S peter, Maria Bastian Rindts eines gartners an der Steinstraßen Haußfraw, Anna M. L*hans des *tten in Crauttenaw Haußfraw (im 260)
Jardinier originaire de Hœrdt, Chrétien Wendennagel achète le droit de bourgeoisie en octobre 1579 en s’inscrivant à la tribu des jardiniers de la Krutenau.
1579, 3° Livre de bourgeoisie (4 R 105) p. 331
Christman Wendennagel von Herdt der Garttner hatt das burgerecht Kaufft, vnnd wüll Zu den Gartnern In der Kruttenaw dienen. Act. 15. Octobris Anno & 1579.
Le jardinier Chrétien Wendenagel et sa femme Odile, fille de Jean Herold de Wœrth (peut-être mis pour Hœrdt) vendent la maison au jardinier Sébastien Klugshertz et à sa femme Agnès Steinbach
1586 (xj Aprilis), Cour épiscopale, vol. 240 (Registranda Kügler) f° 81
Erschienen Christman wendenagel gartner burg. Zu Straßburg vnd Ottilg weÿlandt Hanß Herolds Zu werdt selig. docht. habenn unverscheidenlich für sch verkaufft
Bastian Klugshertz garttner Alhie vnd Agneß Steinbächin seiner haußfrauwen
Hoff hauß hoffstatt Scheür Stall vnd garttlin geleg. In d. vorstatt St. In Cruttenouw Einsit Hanß Kleinen gartner And.seit Hanß Kamen Metzger stoßt hind. vff hanß Schulttheÿssen, Dauon gohndt fünff guld. gelts Järlich vff liechtmeß fallendt wid. lößig mit 100 guld. St. w. Bastian (-) selig. Erben, Item mehr fünff guld. gelts mit 100 guld. St. w. Abzulößen vff Johannis Bapte fallendt herr Heinrich Druschen, vnnd dan Ein guld. gelts Ablößig mit xx guld. St. w. Jarlich vff den Neuwen Jars tag Jörg München burg.n Zu St. Alle Jar & vnd Alles Recht, der Kauff bescheh. vber obgeschribne beschwerd. vmb 210 guld. St. W.
La maison est inscrite au nom du jardinier Sébastien Klugshertz dans le Livre des communaux (1587)
Fils du jardinier Grégoire Klugshertz, Sébastien Klugshertz épouse en 1564 Agnès, fille du jardinier Sébastien von Steinberg. Le pasteur note que le marié a fréquenté le catéchisme et que la mariée habite au Faubourg de Pierre
Mariage, Saint-Guillaume (luth. f° 30 n° XXVIII) 1564. Bastian Klughertz ein garttner Gregorii Klughertzen des garttners nach gelassener Sohne, Agnes, Bastian von Steinberg des garttners tochter. Diese seind ausgeruffen worden den 5. Sontag nach Trinitatis vt supra, vnnd haben Hochzeitt gehaltten vff Zinßtag den 111 Julÿ Zum Schwanen darbeÿ ich vnd mein Helffer auch gewesen, Haben vns die Irten geschwenckt. der Breuttigam ist ein Zeittlang in die schule gegangen Zu S Wilhelm Hatt sich vleißig Zum catechismo gehalten, der brautt vatter wontt an der Steinstraßen, der selbig hat sir mir* selbst angezeigt (im 216)
Le tuteur de Michel, fils de Sébastien Klugshertz et d’Agnès Steinburg, vendent trois maisons sous le même toit au jardinier Barthélemy Pfenning
1595 (24. febr.), Chancellerie, vol. 300 (Imbreviaturæ Contractuum) f° 19-v
Kauffbrieff Bartholmej Pfennigs vber dreÿ heußer In Crautenaw
Erschienen Sebastian Klugßhertz d. garttner In Crautenaw als verordneter Vogt Michels, w. Sebastian Klugßhertz deß garttners vnd Agneß Steinburg.in beed. selig. ehelich. sohn vnd hat In nammen erstgedachts seines vogtsohn (verkaufft)
Bartholme Pfennig dem garttner d. Zugeg. jhme & vestiglich kauffte
dreÿ heüser vnd. einem dach sampt scheür stall vnd gartten & mit allen Ihren gebew. & geleg. In d. Vorstatt Crautenaw neb. hans Kammen dem Metzg. ein vnd and..seit neb. Andres Brackenhoffer dem Led.berüter hinten vf H Philipps Wehrlen alten Ammeisters gartten stoßend, Dauon gehnd fünff guld. loßig mit 100 gld. St. w. hans von Angreth Jhärlich vf Lichtmeß fallend, Mehr ein gulden St. w. lößig mit 20 fl. gemelter w. Jharlich vf den ersten Januarÿ fallend, H Niclaus Münch Creditoren, So dann fünff gld. gelts St. w. wid.keuffig zu 4 malen mit 100 gld. St. w. H Ammeister Trausch. vf Jois Baptistæ sonst ledig vnd eig. Vnd haben darauf Ihme Keüffern alles Recht & so Jeme Vogtkind. gehapt, vbergeb. vnd Zugestelt, Vnnd bekandt d. deß Keuffer vber hievor gesetzte beschwerd. Zugang. vmb 180 guld. Str. w.
Confessat
Dies vf sein deß Verkeüffers seith Theobald Schollhammers, Michel Klugshertz. seines vogt sohns, h. Johann Jung des Notÿ vf deß Keüffers seith aber hans Deÿl deß garttners Montag den 24. febr. 95
Barthélemy Pfenning et sa femme Brigitte hypothèquent le lendemain la maison au profit de Jean von Auenheim
1595 (vts [25.t Februarÿ]), Chancellerie, vol. 298 (Registranda Kügler) f° 82-v
(Inchoat. fo: 93.) Erschÿnnen Barthell Pfenning garttner Vnnd Brigida sein eheliche Hußfrouw
Haben Inn gegensein Herrn Hanß Von Ouwenheims – schuldig sein 100 guldin Straßburger werung
dafür Vnderpfand sein sollen Hoff Hauß Hoffstatt Scheur Ställ Vnnd gärttlin gelegen Inn der Voorstatt Cruttenouw Inn der Vÿhegaßen einseyt neben Andreß Brackenhoffer die Anderseyt Hanß Kammen Metziger stost hinden vff Herr Philips Werlin Altten Ammeÿster, Dauon gondt Ein guldin geltts Ablösig mit 20 guldin Niclaus München, Mehr fünff guldin St W Ablösig mit 100 guldin St. W Herren Ambrosio Truschen Sunst ledig eÿgen
Vnd zu noch mehrer sicherheit Ist erschÿnen Hanß Dÿl der garttner bemelts Schuldbekhenners schwäher hatt sich für sich Vnnd seine Erben beneben dem Vnderpfandt mit sampt dem Hauptschuldner Unverscheidenlich Zi eim Rechten bürgen ernänt vnd eingesetzt
[in margine :] Erschienen herr Jerg Obrecht als dochterman herrn Hans Ouwenheims seligen Hat in gegensein Dieboldt Müelen als Jetzigen eÿgenthumbs besitzer hier geschriebenen und.pfandts (…) Actum den 26. Junÿ Anno 99.
Fils du vigneron Michel Pfenning d’Eberstein (Hofen Eberstein) près de Baden-Baden, Barthélemy Pfenning épouse en 1589 Brigitte, fille du jardinier Jean Schultheiss
Mariage, Saint-Guillaume (luth. f° II 91, n° 34)
1589. Dominica 14. Trinitatis. Bartel pfenning ein Junger gartner Michel pfenning eines Rebmans Zu hafen Eberstein beÿ Margraf baden, Son, vnd J. Brigitta Hanß Schultheißen seligen deß gartmans nachgelaßene tochter
Diese beide Junge leit sind Zu mir kommen, begert ich soll sie außrufen, habs Inen erstlich abgeschlagen Weil Sie beide also allein kommen, niemandt mit sich bringen, wie breuchlich ist Sind aber vber ein stund wied. kommen, mit sich gebracht d. braut mutter, hans dielen hausfraw, vnd Samuel örtel der vogt, d. Zeigt an, das er von dieser sach nit gewust, allein vor einer stund dauon gehört, wöl sie beide nit hindern weil er verscer das die mutter wol damit Zu frieden, vnd hoffen sie werden wol mit einand. leben vnd haußhalt. – confirmatio facta 7. Octobris (im 225)
Barthélemy Pfenning devient bourgeois par sa femme une douzaine de jours après son mariage
1589, 2° Livre de bourgeoisie (4 R 104) p. 629
Barthel Pfenning von Hofen Eberstein ein Gartner In der Krutenaw hatt daß Burckrecht empfang. von Brigida weÿlandt Hanß Schultheÿß. deß geweßenen gartners daselbst selig. dochter vnnd will Zu den gartnern, In d. Kruttenaw dienen Act. 21 Octob. Ao 89.
Barthélemy Pfenning qui n’a plus paru depuis six ans au conseil des Jardiniers dont il est échevin à cause de son effrayant visage, ce qui confirmerait d’autant plus le soupçon qu’il a la lèpre qu’il refuse de se faire examiner, doit renoncer à son mandat
1618, Protocole des Quinze (2 R 46)
(f° 134-v) Sambstag den 12.ten Decembris – Schöffen Musterung. Barthel Pfenning.
H. David Voltz pringt vor, Es were ein Gartner inn Crutenauw Barthel Pfenning genant, wegen abscheuwlichen angesichts, bißhero für auffsetzig gehalten worden, vnnd nicht desto weniger noch ein Schöffen, aber beÿ sechs Jaren nicht mehr Zu den Schöffen Kommen, Innmaßen auch sein haußfrauw nicht außgehet dahero der Vermuttung des außatzes Je lenger Je stercker würd, dessen beschwehren sich nun der rhatherr Georg Schultheis, vnd die denen Jetzmahlen der last einig vnd allein ligt. Seÿ Ime gleich wohl Zugemuthet word. damit man auß dem argwohn komme, sich besichtigen Zulassen, das woll er aber auch nicht thun, Wers allso Zu meinen hrn stehen, Waß hierinnen weitter für Zunehmen. Tritt damitt ab.
Erkant. Der Ober: vnd Rhatherr sollen mit beÿstand ettlicher Schöffen, Ime Pfenningen anzeigen, derweÿl er leibshalben allso beschaffen, das er den geschäfften nicht mehr beÿwohnen Könne, So soll er sein Schöffenampt resigniren vnd vssagen ein anderen an sein stat haben Zuerwöhlen. Mr.
Barthélemy Pfenning qui était échevin chez les Jardiniers depuis dix ans présente sa démission aux Conseillers et Vingt-et-Un.
1618 Conseillers et XXI (1 R 100
(f° 348-v) Mittwoch den XVI. Decemb. – Bartel Pfenning resignirt Schoffel Ampt
Bartel Pfenning p. L. So 10 Jar ein Schoffel auff der Gartner Zunfft geweßen v aber in 6 Jaren nit bey Innen erscheinen Können, will derwegen sein Schoffen Ampt hiemit aufgekündt haben. Erk. Man soll Ime billich erlassen.
Barthélemy Pfenning et sa femme Brigitte, fille du jardinier Jean Schultheiss, vendent la maison au jardinier Thiébaut Müll et à sa femme Aurélie
1599 (xv Januarÿ), Chancellerie, vol. 323 (Registranda Kugler) f° 19
Erschienen Barthel Pfenning gartner burger alhie vnd Brigitta sein eheliche haußfrauw wÿland Hanns Schultheÿßen des gartners seligen dochter
Haben in gegensein Diebold Müllen gartners vnd Aurelien seiner Ehegemahlin (verkaufft)
Hoff, huß hoffstatt Scheur Ställ vnd gärtlin mit allen andern Iren gebeuwen gelegen Inn der vorstatt Crauttenouw gegen dem Neuwenthor einseit neben Hanns Kammen Metzigern, die anderseit Hannß Heÿntzen gartnern stost hinden Zum theÿl vff hern Philips Werlin regirenden herrn Ammeyster vnd Zum theil vff Diebold Branden, Dauon gend 5 guldin gelts vff Johannis Baptistæ fallend ablößig Zu vier malen mit 100 guldin Straßburger Werung Hr Ambrosio Trauschen, Item obermelts fünff guldin gelts vff Sant Matthÿs tag fallend, ablößig mit 100 guldin Straßburger Werung Herrn Georg Obrechten dem Jüngern, Wan man die dgleich* hauptgut vff Sant Johannis Baptistæ tag nechstkünfftig begeren würt sol mans Zu erlegen vnd loßung zu thun schuldig sein, Wÿters Ein goldguldin gelts den Neuwen Jars tag fallend ablößig mit 70 goldgulden Inn gold Enoch Meÿern Schaffners zu S Clauß In Undis sunst ledig eÿgen Vnnd beschiht der Khouff vber die beschwerden daran die Keüfferer gewÿßen vnd vber sich genommen vmb 80 pfund pfenning Straßburger
Fils de Thiébaut Müll de Kork (en Bade), Thiébaut Müll épouse en 1596 Aurélie, fille du jardinier Jean Schultheiss
Mariage, Saint-Guillaume (luth. f° I 149, n° 28)
1596. Dominica 23. Trinitatis. Diebolt Müll ein Junger gartner, diebolt Müllen Zu Korckheim selig nachgelaßener Son, vnd J. Aurelia Hans schultheissen des gartners selig tochter. Confirmatioê facta 8. decemb. (im 168)
Thiébaut Müll devient bourgeois par sa femme un mois et demi après son mariage
1596, 2° Livre de bourgeoisie (4 R 104) p. 731
Dieboldt Müll vonn Korck der garthner hat daß burgerrecht empfang Vonn Aurelia W. Hannß Schultheißenn deß garthners selig hinderlaßene dochter, vnndt will Zun garthnern In Krauthenaw diennen Actum den 20. Januarÿ 96.
Thiébaut Müll hypothèque la maison au profit d’Hilaire Meyer, notaire à la Chancellerie.
1617 (j. tag Julÿ), Chancellerie, vol. 427 (Registranda Kügler) f° 148
(Inchoat. fo: 148) Erschienen Diebolt Müll der gartner vnder wagnern burger alhie
hatt in gegensein Barthell Thauschütz von Heÿgenßwerda Als substituirten herrn Hÿlarÿ Meÿgers Contractuum Notarÿ – schuldig sige 100 pfund pfenning
Zum Rechten Wissenthafften Vnderpfand ernänt vnnd ÿgesetzt hoff huß hoffestatt scheür Ställ vnd gärtlin mit allen andern Iren gebeuwen begriffen wÿthen Rechten Gelegen Inn vorstatt Straßburg Inn Crutenauw gegen dem Neuwen thor vber, Einseit neben Phillips Kammen Anderseit neben Mathÿs Schultheÿßen stoßend hinden vf Wolff herlins vnd Diebold Braunen gartten, dauon gend Fünff guldin gelts alblösig mit 100 guldin herrn Ambrosio Trauschen So dann 1 Goldguldin gelts lösig mit 20 goldguldin herren Johann Enoch Meÿgern Schaffnern Zu Sanct Niclaus Inn Undis
Thiébaut Müll épouse en 1635 Chrétienne, veuve de Mattieu Schultheiss
Mariage, Saint-Guillaume (luth. p. 55)
1634. Diepolt Müll der Gartner alhie vnd Christina Matthes Schulß des gartners v. Burgers alh. nach. Witwe. Cop. eodem die [Montags 5. Maÿ (im 267)
Mathieu Schultheiss le jeune, fils de Georges Schultheiss l’aîné, épouse en 1598 Chrétienne, fille de Thiébaut Wild
Mariage, Saint-Guillaume (luth. f° II 136-v n° 32)
1598. Mattheß schultheis ein Jung gartner Görg Schultheissen des eltern selig Son, vnd J. Christina Diebolt wilden des gartners alhie tochter. Confirmatioê facta apud *o partum 24 octob (im 317)
La maison revient au pasteur Pierre Bimler, sans doute par décision judiciaire.
Les enfants du premier mariage de Pierre Bimler avec Marguerite Kohler vendent la maison au jardinier Jacques Schmidt et à sa femme Anne Schultheiss (Schultz)
1644 (27. Jan:), Chambre des Contrats, vol. 493 f° 64
(Prot. fol. 52. & seqq.) Erschienen Melchior hawinschild der Schuhmacher alß Vogt Mariæ Salomeen und hannß H Peter Bimblers Pfarrers Zu Kürtzel mit weÿl. Fr. Margarethä Kohlerin seiner erst. haußfrawen ehelich erziehlter Kind. mit beÿstand besagtes deß Vatters
hatt in gegensein Jacob Schmidts Gartners in Krautenaw und Annæ Schultzin beÿd. Eheleuth mit beÿstand Daniel Schultzen und Georg Klugßhertz beed. Gartner daßelbst. ihr Annæ Gebrüd. alß hierzu insonderheit erbetener nechster Verwanth.
hauß, hoff, hoffstatt, Bronnen, Scheur, Ställ, Trott, Trotthauß mit alln deß. Gebäwen alhie in Krautenaw beÿm newen thor, neben hannß Voltzen dem Garten Mann, ein und anderseit neb. weÿl. Benedict Hirten seel. wittib und Erb hind. vff weÿl. Balthasar Spieß. Erb. Zum theil, theilß vff weÿl. Samuel Gallera Erb. stoßend gelegen, davon geht iahrs vff d. 1. Januarÿ einen golt fl. lößig mit 20. golt fl.. H Johann Friderich Seupeln Schaffnern der roth. Kirchen (übernohmen) – umb 230 Pfund
Fils du cultivateur du même nom de Schwindratzheim, Jacques Schmidt épouse en 1638 Anne, fille du jardinier Daniel Schultheiss
Mariage, Saint-Guillaume (luth. f° 118)
1638. Dominica I. Trinitatis. Jacob Schmidt der Garttner Alhie, weÿlandt Jacob Schmidts deß Bawers vndt burgers Zu Schwendtersheim nachgelaßener ehelicher Sohn, vndt Jungfrau Anna, weÿlandt Daniel Schuldteis deß Garttners vndt burgers alhie nachgelaßene eheliche Tochter. Copulirt dienstags den (-) zu St. Wilhelm (i 229)
Jacques Schmidt, jardinier originaire de Schwindratzheim, devient bourgeois par sa femme Anne Schultz
1638, 4° Livre de bourgeoisie p. 176
Jacob Schmidt der Garttner von Schwündratzheim Empfangt d. Burgerrecht von seiner haußfrawen anna weÿl. Daniel Schultz deß Garttners Alhier seell. dochter vmb 8 goldguld. wüll Zu dem Garttnern In Crauttenaw Zünfftig sein Actum den 23. Junÿ 1638.
Jacques Schmidt hypothèque la maison au profit de Jean Rénard Mader, substitut à la Chancellerie
1653 (17. 9.br.), Chambre des Contrats, vol. 514 f° 602-v
Erschienen Jacob Schmid Gartner in Krautenaw
hatt in gegensein H Johann Reinhardt Maders Vicarÿ beÿ der hießig. Cancelleÿ – schuldig seÿe 12 Pfund
Underpfand sein soll hauß, hoff, hoffstatt, Bronnen, Scheur, Ställ, Trott, Trotthauß mit allen andern deren Gebäwen & alhie in der Krautenaw beÿm newen thor, einseit neben weÿl. hannß Voltz. deß Gartenmanns seel. Erben, anderseit neben Michael Braunen dem Weißbeckh. hind. vff weÿl. hannß Philipß spieß. seel. Erben, Zum theil und theilß vff H Johann Ulrich Goll von Colmar stoßend gelegen, so Zuvor umb 20. golt fl. der Roth. Kirch. und dann umb 80. lib. kauffschillingß rest H Peter Bimblers Pfarrers Zu Kurtzelnheim Kinder
Jean Bimler cède à Grégoire Biccius, docteur et professeur à l’université, une somme de 65 livres dues selon la vente passée en 1644 (ci-dessus). Jacques Schmidt intervient à l’acte en hypothéquant ses biens. La vente suivante montre que la maison a été attribuée au créancier.
1654 (8. 9.br), Chambre des Contrats, vol. 516 f° 583
Erschienen Hannß Bimler der weißbeck
hatt in gegensein deß Edel- hochgelehrten H Gregorÿ Biccÿ U.I. Doctoris & Professoris bekannt
65 lib Kauffschillingß rests, so Jacob Schmid Gartner in Krautenaw, vermög der am 27. Jan: a° 1644. in der Cancelleÿ Contractstuben vffgerichteter Kauffverschreibung auff der darinn Specificirten und beÿm newen Thor gelegener Behaußung ihme Bimblern, alß deme solcher Kauffschillingß rest, nach Innhalt der am 25. 9.br a° 1653. in berührter Contractstuben vffgerichteter Cessions Verschreibung assignirt word. seind, Zu thun ist – umb 50. lib
[in margine :] Erschienen Elisabetha deß verkäuffers eheliche haußfrau mit beÿstand H Hannß Wörners und H Mathiß Tröschers beder alß auß E.E. Kleinen Rhats mittel ahne statt ihrer nechster verwanther hierzu insonderheit deputirter (ratificirt) Act. in ædib. Dni Emtor. 9. 9.br. A° 1654.
(f° 523-v) Erschienen Jacob Schmid Gartner in Krutenaw hatt in gegensein ut supa bekant daß Er Schmid, ehrengedachten H. Dri Biccio, vffrecht und redlich schuldig seÿe 75. lib. darund. 65. lib. in der auch heut dato vffgerichter Kauffverschreibung specificirt. Capitalß begriffen und die überige 10 lib. heut dato nachgelüh. (…)
soviel aber die ietzo gelühene 10 lib. betrifft, soll eben dieselbe Behaußung beÿ dem newen Thor darauff die besagte 65. lib vorhero hafften, hiemit Zum special Unterpfand, für die gesampte 75. lib. aber in subsidium alle übrige sein Jacob Schmidts haab und Güter Zur general hypothec verhafftet sein.
Geoffroi Stœsser vend au nom de sa femme Sara, fille de Grégoire Biccius, la maison au jardinier Georges Schultheiss et à sa femme Chrétienne.
1675 (5. Julÿ), Chambre des Contrats, vol. 544 f° 397-v
der Edel- Vest- hochgelehrte Herr Gottfried Stößer U.I.D. Reipubl. Patriæ Consiliarius et Advocati im nahmen & frawen Saræ weÿl. deß Edel-Vest hochgelehrten Herrn Gregorÿ Biccÿ U.I.D. und beÿ hießiger wohllöbl. Universität Pandect. Profess. Publ. nunmehr seel. nachgelaßener fraw Wittibin seiner Schwigermutter
in gegensein Georg Schultheißen Gartners in Krautenau und Christinæ seines Eheweibs mit assistentz der Ehrenvest- fürsichtig und weÿßen herrn Daniel Walters und herren Jacob Von Fridolßheim beÿder alß aus E.E. Großen Rhats mittel ahne statt nechster Verwanther hierzu insonderheit deputirter
hauß, höfflin, hoffstatt, Scheur mit allen deren gebäwen, begriffen, weithen, Zugehördten, rechten und Gerechtigkeiten alhier in der Vorstatt Krautenau beÿ dem Newen thor, einseit neben Michael Braunen dem Weißbeckh, anderseit neben hannß Dielen Gartnern ehevögtlicher weißen hinden uff hannß Carl Spießen den Ammaÿster Knecht stoßend gelegen, so gegen männiglichen freÿ ledig und eÿgen seÿe. Vnd were solcher Verkauff vnd Kauff geschehen umb 450. fl.
Fils du journalier Nicolas Schultz, le journalier Georges Schultz épouse en 1671 Chrétienne, fille du journalier Valentin Kleinlogel : contrat de mariage tel qu’il est copié à l’inventaire, célébration
Copia der Eheberedung – Zwüschen dem Ehrsamen vnd bescheÿdennen Georg Schultheißen dem ledigen garttnern Inn Crautenauw weÿland deß auch Ehrsamen Clauß Schultheißen, geweßenen gartners daselbsten Burgers Zue Straßburg seeligen nachgelaßenem Eheleiblichem Sohn, alß dem Bräutigamb, ahne Einem, So dann der Ehren: vnnd Tugendreichen Jungfrauen Christinæ Weÿland deß auch Ehrsamen Veltin Cleinlauwels geweßenen Garttners Ahne Steinstraß vnd Burgers allda seeligen nachgelaßener Eheleiblicher dochter alß der hochzeiterin Andern Theils, sich begeben und Zugetragen, auch Zugleich Inn beÿstandt vnd durch verhandlung der Ehrengeachten Ehrsam: vnd bescheidenen Diebold Schuosters garthners Inn Crautenaw vnd Marthæ Knechtin, Weÿl. Georg Lucken seeligen Wittib, seiner respectivé Mutter vnd geordneten Vogts, deßgleichen vff Ihro der Jungfrauen Hochzeiterin seiten Philipp Maurers gartners ahne Steinstraß vnd Niclaus Schraffen deß Seilenmachers Ihres Stieffvatters vnd geordneten Vogts Alß hierzu Insonderheit erbettene beÿständere – So beschehen vnd also verhandelt In wohlermelter Statt Straßburg, Donnerstags den Andern Februarÿ Anno 1671, Thoman Tromer, Nots.
Mariage, Saint-Pierre-le-Jeune (luth. f° 216 n° 12)
1671. Dom. VI Epiphaniæ 12 Febr. Geörg Schultz, der Tagner, Weÿl. Claus Schultzen, des Tagners Vndt Burgers allhie ehl. Sohn, Vndt Jfr. Christina, Weÿl. Valentin Kleinlogels deß Tagners vndt burgers allhier nachgelaß. eheliche Tochter. Copulavi Donnerst. den 23. Februarÿ (im 224)
Proclamation, Saint-Guillaume (luth. p. 88 n° 4) 1671. Dnicis VI p. Epiph. & sexages. 12 / 19 Febr. Görg Schultheiß Junger Tagner wlnd. Claus Schultheißen geweß. Tagners v. b. alhie nachgelaß. Ehelich Sohn, vnd Jgfr. Christina Wld Veltin Kleinlogels geweß Garttner Tagners, B. alhier nachgel. Eheliche Tocht. Cop. J. P. (i 65)
Georges Schultz meurt en mars 1706 à l’âge de soixante-deux ans
Sépulture, Saint-Guillaume (luth. 1687-1722 f° 93 n° 6) 1706. Montags den 1. Martÿ starb hora 10 vormittag Georg Schultz der gartner wurde Donnerstag darauf begraben auf dem gs.acker S. urbani wie solches bezeugen ætas 62 jahr 9 woch. v. 6 tag [unterzeichnet] H diß ist Michael Schultzen Sohns handzeichen, o diß ist Hans Ohlen dochtermanns handzeichen (im 96)
Georges Schultz meurt en délaissant trois enfants. Les experts estiment la maison 150 livres. La masse propre à la veuve est de 127 livres, celle des héritiers de 6 livres. L’actif de la communauté est de 328 livres, le passif de 254 livres.
1706 (7.4.), Not. Baer (Christophe Evrard, 2 Not 1) n° 10 (215 numéro XIX° s.)
Inventarium über Weÿl. deß Ehrsam: vndt bescheidenen Georg Schultzen deß gewesenen Gartners undt burgers alhier zu Straßburg nunmehr seeligen Verlaßenschafft, auffgerichtet in Anno 1706.
Inventarium undt beschreibung aller haab Nahrung undt Gütere liegend vnd fahrender, keinerleÿ davon gantz nichts außgenommen noch hindengesetzt, so dabeÿ der Ehrsam und bescheinder Georg Schultz geweßener Gartner In Krautenau alhier Zu Straßburg und burger daselbst nunmehr seel. nach seinem Montags den 1. Martÿ dießes lauffenden 1706.sten Jahres aus dießem Jammer vollen leben genommenen töd. hindritt hinder Ihme verlaßen, welches alles auf freundl: ansuchen deß Ehrsam vndt wohl bescheidene hanß Ohlen deß Jüngern Gartners Inn Krauttenauw und burgers in berührtem Straßburg alß Ehevogts frawen Susannæ ohlin gebohrner Schultzin der Einen Tochter, So dann deß auch bescheid: Michael Schultzen deß Gartners Inn Krautenau undt burgers alhier In bemeltem Straßburg dießeithigen ehe. Sohne, Wie auch deß Ehren und wohl bescheidenen H. Philipp Böttigers deß Gartenmanns undt burgers in ged: Straßb. alß geschwornen Vogts Jungfr. Catharinæ Schulzin der andern Tochter, deß nunmehr seel. verstorbenen rechtmäsiger Kinder und ab intestato nachgelaßener 3. Erben fleißig ersucht, Inventirt, durch die Ehren vnd tugendtsahme fraw Christinam Schultzin gebohrner Kleinlauelin die hinterbliebene Wittib mit beÿstand deß Ehren und bescheidenen Martin Bawren deß Gartners In Krautenaw auch burgers in ged. Straßburg Ihres geordnet vndt geschworenen Vogts (…) So beschehen in noch fernerem beÿsein hanß Michel Baaß deß geschw: büttels beÿ E. E. Zunfft der Gartner Inn Krauttenauw vndt burgers alhier in offt wohlerwehnter Statt Straßburg Mittwoch den 7. Aprilis Anno 1706.
Inn einer alhier Zu Straßburg In Krauttenaw nahe dem Capuciner Closter gelegenen, undt Inn dieße Verlaßenschafft eigenth. Zuständigen behaußung befunden
Ane hültzten Werck. In der Cammer A, Ind er Soldaten Cammer, In der Cammer B, In der Wohnstub, Im Keller
Eigenthumb ahne Einer Behaußung. (T.) Item ein hauß, höfflin, hoffstatt, Scheür, wie auch bronnen mit aller deren gebäuwen, begriffen, weithen, Zugehördten Rechten undt Gerechtigkeiten alhier in der Vorstatt Krauttenaw beÿ dem geweßenen Neuen hue, ein neben Michel braunen dem weißbecken anjetzo aber den heusischen Erben, und Wittib ander seit neben hanß diehlen Gartner Inn Krauttenaw, Zu dieser Zeit aber hannß baaßen dem Gartner In Krauttenaw hinden auff hanß Carle Spißen den Ammeister Knecht, gegenwertiger Zeit aber auff H. B: Lobstein den seiten händler vnd burger alhier Zu Straß. stoßend gelegen, durch die geschwornen Werckmeister angeschlagen worden p. 150. lb. Darüber sagt i. teutscher Pergament Kauffbrieff mit der Statt Straßburg cancelleÿ Contract anhangend. Insiegel verwahrt so datirt den 5. Julÿ 1675. mit N° 1. Ferner ein teutscher Pergamentener Kauffbrieff mit der Statt Straßburg anhangendem Cancelleÿ Contract Inn siegel Verwahrt so datirt den 27. Januarÿ 1644. mit altem N° 14. vndt mit neuem N° 2. anjetzo signirt, vndt dabeÿ gelaßen, welche brieffl. Document der Wittib Inn verwahrung gelaßen word.
Eigenthümliche Güther. (T.) Erstlichen I: Garten vor dem Metzger, vnd dem geweßenen Neuen thor (…)
(W.) Item 1. Acker Veld im burgfeld Königshoffen banns (…)
Norma hujus inventarÿ. Copia der Eheberedung
der Wittib ohnverändert Eigenth. Vermögen, Sa. haußraths 10, Sa. der Guldenen Ring 2, Sa. Eigenthum ane ligenden Güthern 10, Sa. Schulden 14, Sa. Ergäntzung 90, Summa summarum 127 lb
Auff solches Volgt nun auch der Erben ohnverändert Eigenth. Nahrung, Sa. haußraths 6, Sa. Guths Ergäntzung 14, Summa summarum 20 lb – Schulden 14 ln:Nach deren Abzug 6 lb
Endtlich wird auch nun daß gemein verändert vnd theilbahr Guth beschrieben, Sa. haußraths 19, Sa. holtz undt Wellen 1, Sa. Pferdts 8, Sa. Rindt Viehes 4, Sa. Geraucht Schweinen fleisch 4, Sa. früchten auf dem Casten 5, Sa. Meels 2, Sa. Strohs 7 ß Sa. Schiff und geschirr Zum Ackerbau gehörig 3, Sa. der blumen auf dem feld 3, Sa. deß Saamens 1, Sa. der baarschafft 25, Sa. Eigenth. an j. Behauß. 150, Sa. Eigenth. ane Einem Garten 100, Summa summarum 328 lb – Schulden 254 lb Verbleibt 74 lb
Conclusio finalis Inventarÿ 208.
Abschatzung den 30. Martÿ aô 1706. Weÿlandt des Ehrhafften und bescheidenen H. Geörg Schuldes Gartners seel. hinderlaßener Fr. Wittib und Erben ist eine behausung allhier in der Statt Straßburg in der Krautenau beÿ dem Capuciner Kloster gelegen, einseits neben hannß baß Gartner, anderseits neben der fr. heisin hinden auff des H. Lobstein Kauffmanns behausung stosend, Welche behaußung Scheür Stallung und Nebens häußlein sambt aller gerechtigkeit wie solches durch der Statt Straßburg geschworne Werckleüthe sich in der besichtigung befunden und jetzigem preiß nach angeschlagen wird Vor und Umb Dreÿ hundert gulden. Bezeichnus durch der Statt Straßburg geschworene Werckhleuthe. Jacob Staudacher Werck Meister des Maur hoffs. Johann Jacob osterrieth Werck Meister deß Zimmer Hoffs
Copia der Eheberedung (…) So beschehen vnd also verhandelt In wohlermelter Statt Straßburg, Donnerstags den Andern Februarÿ Anno 1671, Thoman Tromer, Nots.
Les héritiers désignent par tirage au sort le propriétaire de la maison. Elle revient au fils Michel Schultz qui devra laisser sa mère jouir d’une petite maison attenante, décrite dans l’acte.
1706 (21.5.), Not. Baer (Christophe Evrard, 2 Not 1) n° 10 (213 numéro XIX° s.)
General Theil Register darinn Alles das Jenige so wohl fr. Susannæ Ohlin gebohrne Schultzin, Michel Schultzen dem Gartner, fr. Catharinæ Kößlerin gebohrne Schultzin allen 3.en Geschwistrigen, alß auch frawen Christinæ Schultzin gebohrner Kleinlawlin vorher gemelten 3. Geschwistrigen Eheleibl. Mutter inn außwießung Ihres Guths beÿ weÿl. Georg Schultzen deß geweßenen Gartners In Krauttenaw
Eigenthumb ahne Einer Theilbahren behaußung. Solche Ist mit Consens der Wittib undt deren Resp: geschwornen Vogts Martin Bauren wie auch gesamten 3: Erben nahmens fawen Susanna ohlin gebohrner Schultzin, deß Ehren v. Bescheidenen hanß ohlen Jun. Gartners Inn der Krauttenaw vnd burgers allhier Zu Straßburg ehl. haußfrauen, mit beÿstand ged. Ihrem hauß würths, Michael Schultzen deß Gartners Inn Krauttenau auch burgers in gedacht. Straßburg vor sich selbsten, so dann frawen Catharina Kößlerin geborherner Schultzin deß Ehrsamen Heinrich Kößlers deß Zimmermanns vnndt burgers alhier Zu Straßburg ehel. haußfrauen mit beÿstandt gemelten Ihres Ehevogts, nach abzug der darauff hafftenden 150. lb: d: So mann H. Joh: Jacob Costmann dem Gartenmann mittler Zeit nach gelegenheit Zuerstatten, annoch für vnd vmb 350. lb: d: æstimirt vndt angeschlagen, darauff nach unpartheÿischen beschehenem looß Michael Schultzen anheim gefallen, dabeÿ aber Zuvorderst ehe es verlooßt, vnd angeschlagen worden, Expresse angedingt, daß welches unter Ihnen Geschwistrigen solches hauß überkommen v: anheim fällig durch looß erhalten würde daßelbe Geschwistrig die Mutter und wittib in das Kleine neben häußlein, so bestehet Inn I. Stub, Kammer, bünl. vnd davon stehend. Kellerlein, wie auch ein Platz in der Scheur, vor ein *ker frucht Zu legen, gantz freÿseßig ohnbeschwehrt vndt ohngekränckt sitzen laßen und dieses die Zeit Ihres lebens, auch solches allerzeit in guten stand erhalten (…) Actum Straßburg den 21: Maÿ Anno 1706.
Chrétienne Kleinlogel meurt en janvier 1720 à l’âge de soixante-et-onze ans
Sépulture, Saint-Guillaume (luth. reg. A 1708-1729 f° 120-v n° 8) Dienstags d. 16. Jan. 1720. hor. 4. vesp. starb Christina Weiland Georg Schultzen deß gartners v. burgers allhier nachgelaßene eheliche Wittib geborne Kleinlogelin, morbus alters Schwachheit ætas 71 jar, ward begraben Freÿtags in St Urbani d. 19. Jan. hor. X. Mat. 1720 [unterzeichnet] H Ist d. handzeichen Hans Michael Schultzen Sohns, o Ist d. handzeichen Hans Ohlen deß dochtermanns (im 123 )
Chrétienne Kleinlogel délaisse un fils et deux filles. L’actif de la succession s’élève à 131 livres.
Inventarium über Weÿl. der Tugendsamen Frawen Christinæ Schultzin gebohrener Kleinlaugelin, auch Weÿl. Georg Schultzen geweßenen Garttners in Krauttenau Ehelicher haußfrawen seel. Verlaßenschafft, auffgerichtet Anno 1720. (…) nach Ihrem den 16. Januarÿ dießes fortlauffenden 1720. Jahres, genommenen tödlichen ableiben, Zeitlichen verlaßen, Welche Verlaßenschafft auf ansuchen erfordern und begehren der tugendsamen frawen Susannæ ohlin gebohrener Schultzin, beÿständlich deß Ehrsamen hannß Ohlen Garttners in Krauttenaw Ehelicher haußfrawen, ferner deß Ehregeachten Hannß Michel Schultzen ebenmäßigen Garttners in Krauttenaw, so Vor sich selbsten Zugegen, So dann Catharina Kößlerin gebohrener Schultzin, Heinrich Kößlers Zimmermanns vnd burgers alhier Ehelicher haußfrawen, beÿständlich erstgedachten Ihres Ehemanns, also alle dreÿ der Verstorbenen frawen seel. Sohn vnd döchter auch ab intestato nachgelaßene rechtmäsige Erben (…) Actum den 25. Januarÿ 1720.
In einer alhier in Zu Straßburg der Vorstatt Krauttenaw gelegener vnd in dieße Verlaßenschafft nicht gehöriger behaußung befund. worden, wie volgt
Series rubricarum hujus Inventarÿ Sa. haußraths 11, Sa. Goldene vnd Silberne Ring 1, Sa. Eÿgenthumbs ane liegenden güthern 63, Sa. beßerung ane lehengüthern 1, Sa. Schuld in das Erb zugeltend 50, Summa summarum, Conclusio finalis Inventarÿ 131 lb
Michel Schultz épouse en 1699 Aurélie, fille du jardinier Jean Schœllhammer : contrat de mariage, célébration
1699 (23.9.), Not. Kitsch (Jean, 1 AH 5892)
Eheberedung – zwischen dem Ehrsamen Michel Schultzen Gartnern inn Crautenaw, deß Ehrenhafften Georg Schultzen auch gartners inn Crautenaw ehelichem Sohn, als hochzeithern an einem
So dann die Ehren undt tugendsahmen Jungfrauen Aureliæ Schöllhammerin, des Ehrenhafften hanß Schöllhammers auch ebenmäßigen Gartners inn Crautenaw burgers alhier Zu Straßburg eheleiblichen tochter, der Jungfrauen hochzeiterin am andern theil darbeÿ dann Zugleich inn beÿsein beederseiths gedachter Vatter er Vatter
So beschehen inn Straßburg Mittwochs den 23. Septembris Anno 1699. + fecit sponsus, + fecit sponsa
(contrat porté dans le registre intitulé Protocollum tertium, f° 89-v)
Mariage, Saint-Guillaume (luth. f° 79)
1699. Eodem [Mittwoch d. 7. Octobris] seind ordent. Zweymalig. außruffung Copulirt worden Michael Schultz der ledige gartner georg Schultzen deß gartners und burgers, und Christinæ Kleinlogelin seiner Ehfrauen, Ehelicher Sohn & Mit Jgfr. Aurelia, Hanns Schöllhammers deß gartners und burgers und seiner Ehfrauen, Aureliæ Rielin Ehelichen tochter [unterzeichnet] 6 diß Zeichen hatt der Hochzeiter gemacht, + diß ist as Zeichen der Hochzeiterin (im 81)
Michel Schultz et Aurélie Schœllhammer hypothèquent la maison au profit du tanneur Georges Frédéric Ott
1733 (10.2.), Chambre des Contrats, vol. 607 f° 74-v
Erschienen Hannß Michael Schultz, der garttner ahne Krauttenau allhier, und deßen ehefrau Aurelia gebohrne Schöllhammerin, und Zwar diese von ihrem Ehemann hierzu authorisiertn und mit fernerer assistentz ihrer Kinder, Hannß Michael Schultz Junioris und Hannß Georg Schultz, beeder Garttnern allda (…)
haben in gegensein Georg Friedrich Ott, des hiesigen Rothgerbers, Lederbereithers und burgers – schuldig worden seÿen 150 pfund
Zu einem special: vnderpfand verlegt, Eine Behausung, Scheur, Nebengebäud, Stallung, Hoff, gärttlein und hoffstatt, mit allen derselben gebäuden, begriffen, weithen, Zugehörden, Recht: und gerechtigkeiten, allhier in der Vorstatt Krauttenau ohnfern der Esplanade beÿm Capuciner closter, einseit neben Heußischen Erben, anderseit neben Ezechiel N. dem Metzger, hinden auff Lobsteinischer Erben gartten stoßend gelegen, so die schuldner handtreulich ahne eÿdsstatt geleistete Versicherung gemäß, freÿ ledig, niemand weder vnderpfand noch ander weiß hafft
Le conseil des maçons fait grief à Jean Michel Schultz d’avoir employé un compagnon marié, Michel Wilhelm pour réparer son toit. Jean Michel Schultz répond que le compagnon a vanté ses mérites et que son maître maçon Gœbel était malade. Les Maçons lui infligent une amende de trois livres, ensuite ramenée à moitié.
1738, Protocole de la tribu des Maçons (XI 236)
(f° 277) Freÿtags den 21.t Novembris 1738 – Johann Michael Schultz der Gartner beÿ den Capucineren wohnhaft Vorgestellt, daß diesen Sommer über Michel Wilhelm der Verheurathete gesell beÿ Ihme gearbeitet, so wieder ordnung, Indem er Keinen pfuscher anstellen sollen.
Ille habe er nicht gewust, das es verbotten seÿe, Zumalen er Michel Wilhelm Ihne berichtet, daß er aller orthen arbeite, auch gute arbeit auff den dächern mache, sein voriger Maurer Mstr. Göbel seÿe dermalen Kranck gewesen.
Erkandt, Weilen Er wiedero den articul gehandelt, alß sll er auch denselben mit 3. lb. d. beßern.
Ille, seÿe Ihm solches unbewußt, sie hätten dießen articul nicht dazumalen er Wilhelm gesagt, daß er aller orthen arbeite, bitte dahero umb gnad.
Erkandt, in ansehung seiner vorschützenden unwißenheit wird Ihme die helffte nachgelaßen, vnd Er auf 1. lb. 10. ß. gesetzt.
Jean Michel Schultz meurt en 1751 en délaissant cinq enfants. Les experts estiment à 250 livres la maison dont la propriété est justifiée par les titres de 1644 et de 1675. La masse propre à la veuve est de 186 livres, celle propre aux héritiers présente un déficit de 282 livres. L’actif de la communauté s’élève à 1 325 livres, le passif à 333 livres.
Lors de la liquidation annexée, les enfants cèdent la maison à leur cohéritière Anne Catherine, femme de Valentin Ernwein, le 29 mai 1751.
1751 (25.5.), Not. Stoeber l’aîné (6 E 41, 1154) n° 734
Inventarium über Weÿland des Ehrenvesten und vorachtbaren Herrn Johann Michael Schultz, des ältern geweßenen GAKr. und burgers allhier Zu Straßburg nunmehr seel. Verlaßenschafft aufgerichtet in Anno 1751. – nach seinem Freÿtags den 14.ten dieses Monats und Jahres aus dießer welt genommenen tödlichen hintritt Zeit. Verlaßen, Welche Verlaßenschafft auf gebühredes Ansuchen erfordern und begehren der Ehren und tugendsamen Fr. Aureliä Schultzin gebohrener Schöllhammerin, der hinterbliebenen Wb. mit assistentz Daniel Ohl GAKr. u. b. dahier, wie auch des abgeleibten seel. mit deroselben ehelich erzielet Söhne und töchteren als ab intestato Verlaßene Erben (…) So beschehen Straßburg Dienstags den 25.ten Maÿ et Seqq. Anno 1751.
Der Verstorbene seel. hat ab intestato Zu Erben Verlaßen, wie volgt. Erstlichen Johann Michael Schultz den jüngern gaKr. und burger, allhier, welcher in Ehe lebet mit Fr. Anna Barbara gebohrener Küntzin, Zweÿtens Johann Georg Schultz, gaKr. und burgern allhier, verheurathet ane Fr. Annam Catharinam geb. Kellerin, Drittens Fr. Annam Catharinam Ernweinin geb. Schultzin, Valentin Ernwein, gaKr. und burgers allhier ehel. hausfrau beÿständ. deßelben, Viertens Johann David Schultz ebenfalls Gartner ane Krautenau und burgern allhier, verheurathet an Fr. Margaretham geb. Kleinin, So dann Fünfftens Fr. Mariam Salomeam Kostmännin, geb. Schultzin, Johann Jacob Kostmann, des Garthenmanns und burgers dahier Ehefrau, mit deßen assistenz, Alle fünff des Verstorbenen mit Eingangs gemeldet Fr. Aurelia Schultzin geb. Schöllhammerin, der hinterbliebeneen Wb. ehelich erzielte Söhne und töchtere, als ab intestato Zu gleichen portionen und Haupttheilern verlaßene Erben
Bericht wegen gegenwärtiger Verlaßenschafft. Demnach beede geweßte Eheleut in ihrer mit einander auffgerichteten und Vorher copeÿlich eingetragenen Eheberedung §° 3.tio außdrucklich bedungen daß wie dieselbe ane haab und Nahrung in die Ehe bringen auch darinnen Vor ihren Linien oder anderßwoher ererben, erbs und Legats weiß bekommen solten solches einem jeeden und seinen Erben ein freÿ, eigen, unverändert oder abgehen würde, solches anderwärtig mit billigem werth wieder ergäntzt und guthethan würde (…) so hat die Wb. declarirt daß Sie und der Verstorbene seel. einander * in die Ehe Zugebracht solches darmahlen Zu inventiren seÿe unterlaßen worden (…)
In einer allhier Zu Straßburg dero Vorstatt Krautenau ohnfern dem Capuciner Closter gelegenen und in dieße Verlaßenschafft gehörigen behausung befunden worden wie folgt
(f° 7) (T.) I. Garten 4 ½ Ar. und 3370 quadrat schuh haltend, so mit einem lebendigen Zaum umbgeben, vor dem Metzgerthor hießiger Statt (…)
(f° 7) (T.) I. Garten ohngefähr 1 Ar. Grunds haltend, mit einem lebendigen Haag umbgeben, vor dem Metzgerthor hießiger Statt ohnfern der begäbnuß der St. Urbans Au beÿ der Seÿler bahn
(f° 11) Eigenthumb ane Häußern. (E.) Erst. eine behausung, Hoff, Hoffstatt, Scheur, Stallung und Seithen gebeü, mit allen deren Gebäuden, begriffen, weithen, Zugehörden, Rechten und Gerechtigkeiten, allhier Zu Straßburg dero Vorstatt Krautenau, ohnfern dem Capuciner Closter, 1.s. neben Peter Olff dem Meelhändler et Consorten, 2. S. neben Wey. Mstr. Joh: Daniel Rumpff des gew. Kiefers allhier Wb. hinten auf den vormaligen Lobsteinischen wie auch Johann Jacob Gori des Garthenmans Garthen stoßend gelegen, so gegen männiglich freÿ leedig eigen und durch (die Werckmeistere) ausweißlich des Zu mein Notarii Concept übergebenen Abschatzung Zeduls vom heutigen tag angeschlagen pro 250. lb. Solche behaußung hat der Verstorbene seelig von seinen Eltern seel. ererbet. Darüber sagt I. teutscher perg. Kffbr. in allh. C.C. Stb. verfert. mit dero anhangendem Ins. verw. datirt den 5.ten Julÿ 1675. mit altem N° 1. und jetzigem litera A bemerckt. Ferner I. teutscher perg. Kffbr. mit der Statt Straßburg E. E. Ins. bekräfftiget datirt den 27.ten Januarÿ 1644. mit alten Nis 2 et 14 und heutigem litera B bezeichnet
Item eine behausung, Hoff, Hoffstatt Schur und Stallung, allhier Zu Straßburg dero Vorstatt Krautenau ane der Trenckgaß (…)
Ergäntzung der Wittib abgegangegen unveränderten Guths. Inhalt Theil Registers alles desjenigen was dieselbe in weÿl. herrn hannß Schöllhammer des ältern gewesenen gaKr. und B. allhier Zu Straßburg ihres Vatters seel. Verlaßenschafft abtheÿlung Vor einen fünfften haupttheil ererbt in A° 1711. durch H. Notarium Christoph Eberhard Bär seel. Verfertiget
Abzug Gegenwärtigen Inventarÿ, Sa. goldener Ring 29, Sa. Eÿgenthum ane liegenden güthern 29, Sa. activ schulden 25, Sa. Erg. 130, Summa summarum 186 lb
Dießemnach wird auch derer Erben ohnverändert Guth beschrieben, Sa. der Kleÿdung 2, Sa. Eigenthum ane j. behaußung 250, Sa. Eigenthum ane liegenden güthern 36, Sa. der beßerung ane güthern 7 ß, Sa. Erg passive übertroffen (547) Summa summarum 290 lb – schulden 572, der Erben unverändert passiv onus 282 lb
Endlich folgt auch das gemein Verändert und theilbahr guth, Sa. haußraths 16, Sa. Schiff und geschirr Zum Feld und Ackerbau gehörig 16, Sa.Pferd s. d. geschirr 9, Sa. frücht 3, Sa. bluhmen auf dem feld 7, Sa. beßerung auf dem feld 7 ß, Eigenthum ane einer behaußung 369, Sa. Eigenthumb ane liegenden güthern 350, Sa. der Beßerung ane lehengüthern o, Sa. Activ schulden 547, Summa summarum 1325 lb – Schulden 333 lb, Nach deren Abzug 992 lb
Stall Summ 896 lb – Copia der Eheberedung (…) Mittwochß den 23. Septembris neuen Calenders Anno 1699, Johann Kitsch
(f° 5) Vertheilung dere Gärthen (…)
(f° 9) Abhandlung der Eigenthumbs ane einer behausung, so derer Erben ohnverändert
Die allhier Zu Straßburg dero Vorstatt Krautenau, ohnfern dem Capuciner Closter, 1.s. neben Peter Olff, dem Meelhändler et consorten, 2. S. neben Weÿland Meister Johann Daniel Rumpff des geweßenen Kieffers allhier Wb. hinten auf den lobsteinischen wie auch Johann Jacob Gori des Garthenmans Garthen stoßend gelegene behausung, Hoff, Hoffstatt, Scheur, Stallung und Seithen gebeü mit allen deren Gebäuden, begriffen, weithen, Zugehörden, Rechten und Gerechtigkeiten, ist Fr. Annä Catharinä Ernweinin gebohrener Schultzin der ältern tochter von dero Geschwüsterden und mit Erben in ohnvertheiltem Erb käufflich cedirt und überlaßen auch von deroselben mitconsens und Einwilligung ihres Ehemanns solcher gestalten angenommen worden vor 860 Gulden oder 430. lb (…) Actum unterschrieben und unterzeichnet Straßburg Sambstags den 29.ten Maÿ 1751.
Fils de Jean Ernwein, cultivateur à Furdenheim, Valentin Ernwein épouse Catherine Schultz en 1746 : contrat de mariage, célébration.
1746 (13.1.), Not. Stoeber l’aîné (6 E 41, 1223) n° 231
Eheberedung zwischen dem Ehrsamen und bescheidenen Valentin Ernwein dem leedigen Hannß Ernwein burgers und Ackersmanns zu Vürdenheim mit Catharina geb. Schwabin ehel. erzeugtem Sohn, beÿstandl. seines nechstgedachten Vatters wie auch Michael Brumbter auch burgers daselbst seines Schwagers, alß dem hochzeiter ane einem
So dann der Tugendsahmen Jgfr. Catharina Schultzin, H. Joh: Michael Schultz gakr. mit Fr. Aurelia geb. Schöllhammerin ehel. erzeugten Tr. alß der hochzeiterin ane dem andern theil, mit assistentz dero H Vatters wie auch Johann Georg Schultz auch Gartners allda Ihres eheleibl. bruders ane dem andern theil geflogen
Actim Straßburg Donnerstags den 13.ten Januarÿ Anno 1746. [unterzeichnet] Valentin Erwein, o Catharinä Schultzin Hdz.
Mariage, Saint-Guillaume (luth. f° 141 n° 11)
Ao. 1746. d. 9. Martÿ Seind nach Zweymahliger Ausruffung Dominicij Invocavit und Reminiscere in der Kireche Zu S. Wilhelm ehelig copuliret und eingesegnet worden Valentin Ernwein der Ledige Gartner u. burger allhier Hanß Ernwein, Ackersmanns u. burgers Zu Vürdenheim und Catharinæ Schwäbin ehl. Sohn, und Jungfrau Catharina H. Johann Michael Schultzen, Gartners und burgers alhier, und Aurelia Schöllhammerin ehl. Tochter [unterzeichnet] Valentin Ernwein als hoch Zieter, K der hochzeiterin hand Zeich. (im 143)
Valentin Ernwein devient bourgeois par sa femme Catherine Schultz quinze jours après son mariage
1746, Livre de bourgeoisie 1740-1754 (VII 284), f° 252
Valentin Ernwein der Gartner und Ackersmann Von Fürtenheim gebürtig, erhalt das burgerrecht Von seiner Ehefrau Catharina H. Johann Michael Schultzen burgers und Gartners allhier ehel. Tochter um den alten burger schilling und will dienen beÿ E. E. Zunfft der Gartner, jur. d. 24.t Martÿ 1746.
Valentin Ernwein et Catherine Schultz font dresser l’inventaire de leurs apports. Ceux du mari s’élèvent à 79 livres, ceux de la femme à 51 livres.
1751 (29.5.), Not. Stoeber l’aîné (6 E 41, 1153) n° 704
Inventarium über des Ehrsam und bescheidenen Valentin Ernwein, GaKr: und der Ehren und tugendsahmen fr. Annä Catharinä Ernwenin gebohrner Schultzin beeder Eheleuthe und burgere allhier Zu Straßburg einander in den Ehestand Zugebrachte Nahrungen auffgerichtet in Anno 1751. – in ihre Vor 5 jahren angetrettenern Ehestand einander Zugebracht, Welche der ursachen alldieweilen in ihrer Vor mir Notario den 13.ten Januarÿ 1746. auffgerichteten Eheberedung §° 2.do ausdrucklich bedungen daß einem jeden sein in die Ehe bringendes Vermögen ihme und seinen Erben Vor ohnverändert Verbleiben solle – So beschehen in fernerem Beÿseÿn Fr. Aureliä Schultzin gebohrner Schöllhammerin, weÿl. H. Johann Michael Schultz des ältern, geweßenen GaKr. und burgers dahier seel. Wittib der Ehefr. eheleibl. Mutter wie auch Johann Georg Schultz GaKr und burgers allhier ihres Bruders. Straßburg Sambstags den 29.t Maÿ Ao 1751.
In einer allhier Zu Straßburg dero Vorstatt Krautenau gelegenen in der Ehefr. vätterl. Verlaßenschafft gehörigen behausung befunden Worden Wie folgt.
Abzug gegenwärtigen Inventarÿ – Des Ehemanns Vermögen, Sa. haußraths 10, Sa. der frücht 45, Sa. Weins und faß 19, Eÿgenthum ane liegenden güthern o, (signé) 75 lb – Und were die helffte an denen eingegangenen haussteuren darzu gerechnet wird, th. 4 lb, So begreifft des Ehemanns in den Ehestand gebrachter eÿgenthümbliches Vermögen in sich 79 lb
Dießemnach wird auch der Ehefrauen eingebrachtes Guth beschrieben, Sa. haußraths 38, Sa. Früchten 5, Sa. Silbers 12 ß, Sa. guldenen Rings 2, Summa summarum 47 lb – Dazu gerechnet die übrige helffte deren eingegangenen haussteuren 4 lb, So begreifft Ihr der Ehef. in die Ehe gebrachtes guth in völligen werth nach an sich 51. lb
Valentin Ernwein et Catherine Schultz hypothèquent la maison au profit du cocher Martin Hæckler.
1752 (21.1.), Chambre des Contrats, vol. 626 f° 29
Valentin Ernwein gartner ane Krautenau und Catharina geb. Schultzin mit beÿstand in bruders Johann Georg Schultz und ihres vetters Daniel Ohl beeder G.A.K.
in gegensein Martin Häckler des kutschers – schuldig seÿen 200 pfund
unterpfand, eine behausung bestehend in zweÿen gebauen, scheur, stallung, hoff, gärtlein und hoffstatt in der Vorstatt Krautenau ane der Hennen: gaß ohnfern dem großen Capuciner: Closter, einseit neben weÿl. H. Praebendarÿ Ritters erben anderseit neben Daniel Rumpff des kieffers erben, hinten auff die Lobsteinische erben
Anne Catherine Schultz meurt en 1751 après avoir institué son mari légataire universel. Les experts estiment la maison à la somme de 250 livres. L’actif de la succession s’élève à 453 livres, le passif à 338 livres.
1760 (24.1.), Not. Lobstein (J. Frédéric, 6 E 41, 796) f° 194
Inventarium über Weÿland der Ehren: und tugendsahmen Fraun Annä Catharinä Ernweinin, gebohrener Schultzin, des Ehrsam und bescheidenen Valentin Ernwein des Gartners ane Crautenau und burgers allhier Zu Straßburg geweßener ehelicher hausfrauen nun seeligen Verlaßenschafft, auffgerichtet in Anno 1760. – (…) nach ihrem den 23.ten Novembris des Zu end gelegten 1759.sten Jahrs aus dießer Welth genommenem tödlichem hientritt Zeitlichen verlaßen, auf freundliches ansuchen Erfordern und begehren des hinterbliebenen Wittibers vorgedacht, als derselben Vermög bald hernach eingetragenen Testamenti nuncupativi Verlaßenen Universal Erben instituirt worden (…) Actum allhier Zu Straßburg auf Donnerstag d. 24. Januarÿ 1760.
Copia der Verstorbenen seeligen d. 4. 9.bris 1754 vor mir Notario und Sieben Gezeugen errichteten Testamenti nuncupativi
Copia der Abgeleibten seeligen den 16. 9.bris 1759 errichteter Nachdisposition
In einer alhier Zu Straßburg ane der Vorstatt Krautenau ohnfern der Trenckgaß gelegenen und in dieße Verlaßenschafft gehörigen behaußung, befunden worden wie folgt
(f° 5) Eigenthum ane liegenden Güthern, zu Fürdenheim
It. ein halb 2.tel gebauenen Grunds vor dem Metzger Thor im Klein Äügel (…)
It. der 5.te theil Von und ane einem Garthen so vier und ein halber Acker und 3277 quadrat Schuh haltet, so mit einem lebendigen Zaun umgeben vor dem Metzger thor hießiger Statt, ohnfern dem Rheinziegel Offen (…)
It. ein fünffte theil so abgetheilt von und ane einem Garten ohngefähr eine Acker Grund haltend mit einem lebendigen haag umgeben vor dem Metzger thor ohnfern der begräbnus der St. Urbans au beÿ der Seilerbahn (…)
(f° 8-v) Eigenthum ane einer Behaußung und kleinen Gärtlein. Nemlichen eine Behaußung, Hoff, Hoffstatt, Scheur, Stallung und Seithen gebäu mit allen deren Begriffen, Weithen, Zugehörden, Rechten und Gerechtigkeiten, allhier Zu Straßburg und dero Vorstatt Krautenau, ohnfern dem Capuciner Kloster 1.seith neben Peter Olff dem Meelhändler et Consorten, 2.s neben weiland Herrn Joh: Daniel Pfählers des Ohlmanns und Burgers dahier seeligen nachgelaßener Wittib und Erben Hinten auf den Lobsteinischen wie auch Joh: Jacob Gori des geweßenen Gartenmanns seeligen Erben Garten stoßend gelegen, so außer hernach eingetragenen darauf hafftenden Passiv Capital gegen männiglichen freÿ, leedig, eigen und in weÿland Hn Joh: Michael Schultz des ältern geweßenen Gartners ane Krautenau und Burgers alhuer Zu Straßburg der verstorbenen Frauen Vatters seeligen Verlaßenschafft Inventario durch H. Joh: Daniel Stöber, Notarium publicum und berühmten practicum in Anno 1751 gefertiget, von der Statt Straßburg geschwornen Werckleuthen æstimirt, dabeÿ es auch dießorts mit hochgeneigter approbation der Herren Dreÿern löblicher Statt Stalls wieder gelaßen worden pro 250 lb. Das dabeÿ befindliche gar kleine Gärtlein aber so ohngefähr ¼ Viertzel ausmacht ist dermahlen taxirt worden pro 5 lb, Macht beedes 255. lb. Dieße behaußung hat die verstorbene Frau seelige von vorgedachtem Hn Joh: Michael Schultz ihrem Vatter seeligen in Anno 1754 geerbt. Über solche Behaußung ist auch vorhanden ein alter pergamenter Kauffbrieff in allhießiger C.C. Stub gefertiget und miy dero anhangendem Innsiegel verwahret d.d. 5. Julii 1675. m. altem N° 1. und Litera A Notirt. Ferner ein teutscher pergamenter Kauffbrieff mit der Statt Straßburg C.C. Innsiegel verwahret d.d. 27. Januarii 1644. mit alten Nris 2 et 14 und altem Litera B bezeichnet
Series rubricarum hujus Inventarii. Sa. hausraths 20, Sa. Schiff und geschirrs zum Fuhrwerck und Ackerbau gehörig 17, Sa. Handgeschirrs 17 ß, Sa. Scheuren geschirrs 1, Sa. Pferd samt Geschirrs 19, Sa. goldenen Rings 1, Sa. des Tabacks 17, Sa. beßerung im hoff 10 ß, Sa. beßerung auf dem feld 2, Sa. Frucht auf dem Kasten 7, Sa. Sammens 6, Sa. Eigenthums ane liegenden Güthern 103, Sa. Lehen güther o, Sa. Eigenthums ane einer behausung 255, Summa summarum 453 lb – Schulden 338 lb, Nach deren Abzug 115 lb
Valentin Ernwein se convertit et épouse en 1760 Madeleine Pfister, fille du cordonnier Chrétien Pfister de Lauterbourg et veuve de Georges Herrlé (non mentionné au contrat) : contrat de mariage, célébration
1760 (28.4.), Not. Claus (Adam, 7 not 13, protocole) f° 816
Eheberedung (…) zwischen dem Ehrs. u. bescheidenen Valentin Erätwein dem Wber gartner u. burger alhier unter beÿstand H. Joh: Bastasius Rieth des burgers und huffschmids alh. als hochzeiter, ane Einem
So dann der Ehr und tugendbegabten Jungfrauen Magdalena Pfisterin weÿl. H. Christian Pfister gewesenen burgers und Schuhmachers von Lauterburg hinterl. ehel. tochter unter assistentz H. Niclauß Geisthaler des Employirten in den Königl. fourages und Schürmers alhier als hochzeiterin ane dem andern theil
So geschehen zu Straßburg d. 28.sten Aprilis 1760. [unterzeichnet] Valentin Ernwein, + Jfr Magdalenæ Pfisterin handzeichen
Mariage, Saint-Etienne (cath. p. 487)
Hodie 2. junÿ anni 1760 (…) sacro matrimonii vinculo, prævie recepto mutuo consensu in facie Ecclesiæ conjuncti fuerunt Valentinus ehrwein Neoconversus, hortulanus et civis hujas viduus Catharinæ Sultzin, et Magdalena pfisterin vidua georgii herrle civis olim in Lauterburg, ambo in hac parochia commorantes (signé) Valentin Er,wein, + signum sponsæ (im 248)
Valentin Ernwein demande une place de transporteur de bois sur les quais
1762, Protocole des Quinze (2 R 174) – Valentin Ernwein pt° Holtzkarcher am Staden Stelle, 367, 425, 430
Valentin Ernwein meurt en 1769 après avoir institué sa veuve légataire universelle de ses biens. L’actif de la succession s’élève à 178 livres, le passif à 385 livres.
1769 (11.3.), Not. Stoeber l’aîné (6 E 41, 1208) n° 1609
Inventarium über Weiland des Ehrsam und bescheidenen Valentin Ernwein, gew. G a Krautenau und burgers alhier Zu Straßburg nunmehr seelig Verlaßenschafft, aufgerichtet Anno 1769. – nach seinem Dienstags den 21.ten Februarÿ jüngst aus dießer Welt genommenen tödlichen Hintritt Zeitlichen verlaßen, welche Verlaßenschafft auf gebührendes Ansuchen, Erfordern und begehren der Tugendsamen Fr. Magdalenæ Ernweinin geb. Pfüsterin der hinterbliebenen Wittib, als welcher da der Verstorbene keine Kinder hinterlaßen, in Krafft der hernach copeilich eingetragenen Eheberedung §°. 2.do die samtliche Verlaßenschafft eigenthümlich anheim gekommen, unter assistentz des Ehrsam und bescheidenen Lorentz Heitz, Gartenmanns und burgers alhiern den Sie ane Vogts statt Zu ihrem beistand hierzu angesprochen, inventirt (…) So geschehen Strassburg Sambstags den 11.ten Martÿ A. 1769
In einer alhier Zu Straßburg ane dem Gaul Staden gelegenen Johann Georg Martin des Gartenmanns und burgers alhier Ehefrau Zuständigen und diesorts zum theil lehnung weiße bewohnenden behaußung befunden worden wie folgt
Die Helffte von und ane I. Garten 4. Ar. und 16.903 quadrat Schuh in sich begreiff.
außerhalb Metzgerthors dieseits der Werb an dem Ziegelwäßerl. ohnfern dem Rhein Ziegeloffen (…)
Der fünffte theil so abgetheilt von und ane einem Garten ohngefähr I. Acker Grunds mit I. lebendigen haag umgeben vor dem Metzger thor hiesiger Stadt hinter St. Urbans begräbnus beÿ der Seilerbahn (…)
Forma hujus Inventarÿ. Sa. Hausraths 20, Sa. Heus und Scheurengeschirrs 2, Sa. Blumen auf dem feld 3, Sa. Eigenthums ane liegenden Güthern 152, Sa. Beßerung ane lehengüthern o, Summa summarum 178 lb – Schulden 385 lb, Mehr Schulden dann Gut 206 lb
Copia der Eheberedung (…) So beschehen zu Straßburg den 28. Aprilis 1776, Adam Clauß, Notar.
Madeleine Pfister se remarie en 1769 avec le cultivateur Antoine Gass, originaire de Willgottheim : contrat de mariage, célébration
1769 (2.5.), Not. Stoeber l’aîné (6 E 41, 1226) n° 883
Eheberedung – persönlich kommen und erschienen der Ehrsam und bescheidene Antoni Gaß, lediger Ackersmann, weil. Niclaus Gaß des gew. Kiefers und brs. Zu Wildgottheim, mit auch weil. Frn. Susanna geb. Kuhnin nun beeder selig ehelich erzeugter Sohn, so majorennis und ohnbevögtiget, als Hochzeiter ane einem,
so dann die Ehren und tugendsame Fr. Magdalena Ernweinin geb. Pfisterin, weil. Valentin Ernwein gew. gaKr. und brs alhier Zu Straßburg selig hinterbliebene Wb. als Hochzeiterin ane dem andern theil
Straßburg Dienstags den 2.ten Maÿ Anno 1769. [unterzeichnet] Anthonÿ gaß als hochzeiter, + der Hochzeiterin Handzeichen
Mariage, Saint-Etienne (cath. f° 65-v)
Hodie 5. Junÿ anni 1769 (…) sacro matrimonii vinculo, prævie recepto mutuo consensu in facie Ecclesiæ conjuncti fuerunt antonius Gass in wilgotheim hujus diœcesis natus, filius legtimus defunctorum nicolai gass doliarii dum viveret civis in dicto oppido et Susannæ Kuhn conjugum, in præfato wilgotheim commorans, et Magdalena Pfister, vidua valentini Ehrwein hortulani quondam et ciuis hujatis, in hâc parochia commorans (signé) Anthonÿ gaß, + signa sponsæ (im 68)
Valentin Ernwein vend la maison au charpentier Jean Heiligenstein et à sa femme Marie Elisabeth Hetzel.
1761 (21.7.), Chambre des Contrats, vol. 635 f° 219
Valentin Ernwein der g.a.k.
in gegensein Johannes Heiligenstein des Zimmermeisters und Fr. Mariæ Elisabethæ geb. Hetzelin
eine behausung, hoff, hoffstatt, scheur und stallung mit allen deren gebäuden, begriffen, zugehörden, rechten und gerechtigkeiten ane der Krautenau ohnfern dem Capuciner closter, einseit neben Peter Olff dem meelhändler, anderseit neben weÿl. Johann Daniel Pfähler des ohlmanns wb. und erben hinten auff den Lobsteinischen garten wie auch Gorischen erben – um 300 lb capital verhafftet, geschehen um 200 pfund
Né à Mulhausen près de Bouxwiller (voir l’inscription à la tribu) du charron Michel Heiligenstein, Jean Heiligenstein épouse en 1754 Marie Elisabeth Hetzel, fille du fabricant de boutons d’étain Samuel Hetzel : contrat de mariage, célébration.
1754 (25. Feb.), Not. Griesbach (6 E 41, 1320)
Eheberedung – persönlich kommen und erschienen der Vorachtbare Meister Johannes Heiligenstein, der leedige Zimmermann, Weÿl. Michael Heiligenstein des wagners Zu Mühlhausen ehel. Sohn als hochzeiter ane Einem
So dann die tugendsahme Jungfrau Maria Elisabetha Hetzelin, Hn Samuel Hetzel des Zinn Knöpffmachers und burgers allhier ehel. tochter als hochzeiterin andern Theils
So beschehen in der königlichen Statt Straßburg (…) auf Dienstag den 25. Februarÿ 1754 [unterzeichnet] Johannes helgenstein als hoch Zeitter, Maria Elisabet hetzelin als hoch Zeitren
Mariage, Temple-Neuf (luth. f° 322-v, n° 1188)
1754. Mittwoch d. 13. Marti seind nach ordentlicher proclamation ehl. copulirt und eingesegnet worden, Johann Heiligenstein der ledige zimmermann weÿl. Michael Heiligenstein wagners Zu Mühlhausen ehl. Sohn und Jfr. Maria Elisabetha H. Samuel Hetzels Zinn Knöpffmachers und b. allhie ehl. tochter [unterzeichnet] Johannes helgenstein als hochzeitter, Maria Elisabeta Hetzelin als och Zeitren (i 328)
Jean Heiligenstein s’inscrit à la tribu des Charpentiers le 9 avril 1754 après être devenu bourgeois le premier avril (registre en déficit)
1754, Protocole de la tribu des Charpentiers (XI 32)
(f° 108) Dienstag den 9. Aprilis 1754 – Evangelisch Neuzünfftiger
Johannes Heiligenstein Zimmermann Von Mühlhaußen beÿ buchßweÿler gebürtig, prod: Cantzleÿ und Stallschein respectivé Vom 1.ten undt 2.ten Aprilis 1754. bitt Ihne Crafft deßen, als einen Leibzünfftigen gegen erlag der Gebühr auf und anzunehmen, Nach deme er præstanda præstirt. Erkand Willfahrt, dt. 3. lb d.
Jean Heiligenstein hypothèque la maison au profit du vitrier Jean Michel Fügner
1776 (19.7.), Chambre des Contrats, vol. 650 f° 232
H. Johann Heiligenstein der Zimmer meister
in gegensein H. Johann Michael Fügner des glaßermeisters – schuldig seÿe 600 gulden
unterpfand, eine behausung samt zugehörden ane der Vorstatt Krautenau ohnfern dem Capuciner closter, einseit neben der Zocherischen Fr. wittib, anderseit neben den Pfählerischen erben hinten theils auff den Lobsteinischen theils Zocherischen garten
Fils du charpentier Daniel Fritz de Pforzheim, Jean Daniel Fritz épouse en 1784 Marie Salomé Heiligenstein, fille du charpentier Jean Heiligenstein : contrat de mariage, célébration. Jean Heiligenstein fait donation à sa fille de sa maison rue des Poules à la Krutenau en s’y réservant un logement pour le restant de sa vie.
1784 (3.2.), Not. Schaeff (Jean Frédéric, 6 E 41, 873) n° 170
Eheberedung – persönlich erschienen, Herr Daniel Fritz, der Zimmer Meister und Burger alhier, H. Daniel Fritz des Zimmer Meisters und burgers Zu Pfortzheim, mit der Ehr: und Tugendsamen Fraun Barbara gebohrner Siegelin ehelich erzeugter Sohn, so majorennis und seiner Rechten selbsten genieset, als hochzeiter, ane einemn
Sodann die Viel Ehr: und tugendbegabte Jungfrau Maria Salome Helgensteinin, Hn Johannes Helgenstein, des Zimmer Meisters und burgers alhier, mit Weil. Frau Maria Elisabetha gebohrner Hetzelin, ehelich erzeugte Tochter beiständlich erstgemelten ihres Hn Vaters, als die Jungfrau braut ane dem andern theil
Achtens, cedirt und überläßt Hr Johannes Helgenstein, der Zimmer Meister und burger amhier, Jungfrauen Marie Salome Helgensteinin, der Jungfrau braut, seiner Tochter, welche auch beiständl. H. Daniel Fritz des Zimmer Meisters und burgers alhier ihres bräutigams, auf gleiche Weise an: und übernommen zu haben bekante, die von ihme bewohnende gantze behaußung, hoff und hoffstatt samt allen übrigen deroselben Gebäuden, begriffen, Weiten, Zugehörden, Rechten und gerechtigkeiten, gelegen alhier Zu Straßburg in der Vorstadt Krautenau ane der Hennen: Gaß, einseit neben Pfählerischen Erben, anderseit neben Hn Lt Ihlen, und hinten Zum theil auf Hn Rathh. Joh: David Zocher den Kunst: gärtner und Zum theil auf H. Lobstein den Handelsmann stoßend, so Herrn N. Fügner dem glaser: Meister u. burger alh. um 600 fl. verhafftet, sonsten aber des H. Cedenten und Vaters Versicherung gemäß gegen Männiglichen freÿ leedig und eigen, Solchemnach ist gegenwärtige Cession und Übernahm ertsbeschriebener behausung über abzug obigen darauf haftenden Capitals der 600 gulden, welche die Jgfr. tochter und braut vermittelts dieses übernimmt, (…) annoch Zugangen und beschehen vor und um die Summam von 1900 Gulden hiesiger Währung (…) Wobeÿ expresse bedungen worden, daß die Jgfr. Cessionaria und Tochter im gerinsgten nicht berechtiget seÿn könne noch möge, solange der H. Cedent und Vater annoch beÿ Leben seÿn wird, sothane behaußung an Jemand anders Zu Verkaufen, es seÿe dann daß Er in solchen gut und freÿwilliig consentire. Soweiters hat sich auch der Herr cedent und Vater seine bereits inhabende auf dem ersten Stock befindliche gantze Wohnung in einer Stub, Stub Kammer, Cabinet, einer Kuchen, Platz Zum holtz und Platz im Keller bestehend, hiemit bestens vornehalten, um solche Zeit seines Lebens freÿ und ohnentgeltlich auch ohngehindert benutzen und geniesen Zu können
auf Dienstag den 3. Februarÿ anno 1784. [unterzeichnet] Daniel Fritz als hochzeiter, Maria Salome Helgenstein als hochzeiterin
Mariage, Temple-Neuf (luth. f° 138-v, n° 9)
Im Jahr 1784 Dienstags den 9. Martii (sind) ehelich eingesegnet worden Daniel Fritz lediger Zimmermeister und burger allhier, von Pfortzheim gebürtig, Hn Daniel Fritz, Herrschafftlichen Zimmermeisters und burgers daselbst und Frauen Barbara gebohrner Siegelin ehelicher Sohn, und Jgfr. Maria Salome Heiligensteinin Johannes Heiligensteins, Zimmermeisters und burgers allhier, und weiland Frauen Maria Elisabetha gebohrner Hetzelin eheliche tochter [unterzeichnet] Daniel Fritz las hochzeiter, Maria Salome Heiligensteinin als Hochzeiterin (i 140)
Jean Daniel Fritz devient bourgeois
1782, VI 370, 12 (Nouveaux bourgeois, 1781-1783) – Daniel fritz
Originaire de Pforzheim, le compagnon charpentier Jean Daniel Fritz s’inscrit pour faire ses années d’épreuve chez Jean Geoffroi Weber et Jacques Paul Arnold.
1774, Protocole de la tribu des Charpentiers (XI 29)
(f° 35-v) Dienstag den 21.den Junii 1774 – Joh: Daniel Fritz der leedige Zimmergesell von Pforzheim gebürtig stehet vor und bittet, weilen Er das Handwerck nach Ordnung gelernet und verschiedene Jahre darauf gewandert, ihne in die gewohnliche Muthjahre einzuschreiben, Nach gehaltener Umbfrag wurde Erkannt, Seÿe dem Comparenten in seinem begehren zu willfahren, hierauf hat derselbe declarirt die verlangte Muthjahr beÿ Mr Joh: Gottfried Weber und M. Jacob Paul Arnold zu Verarbeithen.
Jean Daniel Fritz demande à faire son chef d’œuvre pour pouvoir épouser la fille d’un maître charpentier. Le conseil lui demande d’attester qu’il a passé un contrat de mariage
1779, Protocole de la tribu des Charpentiers (XI 29)
(f° 47-v) Donnerstag den 21.den Januarii 1779 – Erschienen Daniel Fritz der Gesell von Pforzheim gebürtig, stehet vor und bittet, weilen seine Muthjare bereits verfloßen, ihme Zu erlauben nach außgestandenem Examine den Riß Zum Meisterstück aufzunehmen und dieses nun somehr da Er Meister Helgensteins Tochter Zu heÿrathen gesonnen. Nach gehaltener Umbfrag wurde Erkannt, Seÿe dem Comparenten in seinem begehren Zu Willfahren, sobald er einen authentischen Extract aus dem mit gemelten Mr Heilgensteins Tochter getroffenen Ehe Contract denen Herren Schaumeistersn einhändigen werde.
Jean Daniel Fritz souhaite obtenir le sujet de son examen sans fournir le certificat. Le conseil refuse.
(f° 48) Dienstag den 23.ten Februarii 1779 – Joh: Daniel Fritz der leedige Zimmergesell, , von Pforzheim gebürtig, stehet vor und bittet weilen seit del 21.ten Junii 1776 seine Muthjare verfloßen ihm ohne Rücksicht auf eine Verheurathung, davon den 21.ten Januarÿ jüngst Meldung geschehen, Zu Aufnahm des Reißes und Verfertigung des Meisterstücks gelangen Zu laßen, und dieses um so mehr, da dermahlen keiner vorhanden, der das Meisterstück zu verertigen Verlanget. Nach gehaltener Umbfrag wurde Erkannt, Seÿe der Comparent mit seinem Gesuch samt Kösten ab: und an die Articul zu verweisen.
Jean Daniel Fritz porte l’affaire devant les Quinze. Les pages qui rendent compte de l’affaire manquent.
1779, Protocole des Quinze (2 R 189)
Johann Daniel Fritz Ca. E. E. Mstrschfft der Zimmerleuth. 118. 148. 169. 177. 188.
(p. 118) Sambstags den 6.ten Martii 1779. – Osterrieth nomine Johann Daniel Fritz des ledigen Zimmer gesellen von Pfortzheim gebürtig, Contra E. E. Meisterschafft der Zimmerleuth Obermeister producirt unterthäniges Memoriale juncto petito samt beÿlag sub Litt. A [puncto] admission Zum Meisterstück. Wilhelm bitt [Deput;] et Terminum ordiniis, Obtinuit.
(p. 148, p. 169, p. 177, p. 188 manquent)
Jean Daniel Fritz devient tributaire le 8 janvier 1783
1783, Protocole de la tribu des Charpentiers (XI 34)
(f° 27) Mittwochs den 8. Januarÿ 1783 – Neuzünfftiger ER
Erschienen Mr Daniel Fritz der Zimmermann von Pforzheim producirt Cantzleÿ Stall schein dedato 30.ten Decembris 1783. bittend ihne, in Kraft derselben bei dieser Ehrsamen Zunft aks einen Zünfftigen auf und anzunehmen, sub oblato præstanda Zu præstiren und die Gebühr Zu erlegen. Erkant, Gegen Erlang der Gebühr Willfahrt, Juravit.
Marie Salomé Heiligenstein meurt en 1816 en délaissant six enfants.
1816 (2.4.), Strasbourg 8 (14), Jean Georges Rœssel n° 3117
Inventaire de la succession de Marie Salomé Fritz née Heiligenstein décédée le 24 octobre dernier – à la requête de 1. Daniel Fritz maître charpentier le veuf, 2. Daniel Frédéric Fritz tailleur de pierres, 3. Marie Salomé Fritz non mariée, 4. Charles Chrétien Fritz charpentier, 5. Sophie Fritz non mariés ces quatre majeurs, 6. Guillaume Fritz et 7. Christine Louise Fritz les deux mineurs mais émancipés issus du mariage avec le veuf, contrat de mariage tel qu’il est copié à l’inventaire suivant contrat de mariage reçu Schaeff le 3 février 1784
dans une maison rue des Bestiaux fauxbourg de la Krautenau n° 40
propres aux héritiers apports 14 fr, garde robe 179 fr, mobilier 5000 fr (apports selon l’inventaire des apports 9688 fr) restent à remplacer 1409 fr, total des propres 6602 fr
communauté, mobilier 969 fr, outils bois 400 fr, créances 6400 fr, immeubles 27.200 fr, total de l’actif de la communauté 34.969 fr – passif 9177 francs
immeubles, Héritiers. La maison que le père de la défunte lui a cédé dans le contrat de mariagesituée en cette ville rue des Bestiaux fauxbourg de la Krautenau n° 40, entre les héritiers Pfaehler et le Sr Karcher tonnelier, elle aboutit en partie sur la propriété du Sr Zocher jardinier en partie sur la place dont il va être tantot parlé, Cette maison dans laquelle le veuf déclare n’avoir pas fait de réparations majeures est occupée par lui et les héritiers, estimée à 250 fr de revenu en capital 5000 francs
Communuté. Suivant acte passé à la Chambre des contrats le 18 mars 1786 il a acquis de Jean Daniel Baër négociant et de Jean Frédéric Baër orfèvre au nom de leur mère Marie Salomé née Lobstein veuve Baër un jardin avec puits cour petite maison et dépendances située au susdit Faubourg, d’un côté la maison ci après mentionnée et à la propriété Zocher, d’autre à M Wagner négociant et à la veuve Graff derrière maison ci dessus inventoriée à celle de M Karcher et au jardinier Gohri, Duquel bien dont le sol forme aujourd’hui en grande partie un chantier le veuf et les héritiers jouissent eux mêmes, estimée à 300 fr de revenu en capital 6000 francs
Plus le Sr Fritz déclare avoir acquis de Kayser, emballeur à la douane, une maison sise audit fauxbourg rue dite Spiesengass quai des Chevaux n° 138, tenant d’un côté audit chantier, de l’autre au Sr Asal tisserand, derrière les héritiers Lauth, estimée à 60 fr de revenu, en capital 1200 fr
Et une maison sise à Strasbourg place St Etienne n° 18 à l’entrée de la rue de la Croix, d’un côté celle du Sr Glock brasseur, d’autre celle du Sr Kieffer chandelier, derrière la propriété du Sr Fabian – louée au Sr Jaeglé prêtre moyennant un loyer annuel de 1000 fr, revenu faisant en capital 20.000 fr, Sur ces deux acquisitions il ne s’est pas trouvé de titre
enreg. manquant F°
acp 130 (3 Q 29 845) f° 15-v – Propres aux héritiers, or 14, garde robe 179
une maison à Strasbourg rue des Bestiaux N° 40 estimée à un revenu annuel de 250 francs donnant au denier vingt un capital de 5000 francs
Remploi 1408, total 6602
Communauté, meubles 969, outils et bois 400, créances 6400
un jardin maison à Strasbourg faubourg de la Krutenau estimés à un revenu annuel de 300 francs donnant au denier vingt un capital de 6000 francs
plus une maison audit faubourg rue dite Spiessengasse quai des chevaux à un revenu annuel de 60 francs donnant au denier vingt un capital de 1200 francs – Total 34.969 francs
Daniel Fritz meurt en décembre 1822.
1824 (9.8.), Strasbourg 8 (38), Guillaume Grimmer n° 167
Inventaire de la succession de Daniel Fritz, charpentier décédé le 12 décembre 1822 – à la requête de 1. Jean Daniel Fritz, tailleur de pierres, 2. Marie Salomé Fritz majeure, 3. Charles Chrétien Fritz, charpentier, 4. Sophie Fritz, majeure, 5. Jean Guillaume Fritz, charpentier, 6. Christine Louise Fritz majeure
Observations préliminaires, l’inventaire de la succession de Marie Salomé Heiligenstein épouse du défunt a été dressé par M° Roessel le 2 avril 1816
immeubles 1. la moitié d’une petite maison avec cour, puits, jardin & autres dépendances sise en cette ville rue des Bestiaux Faubourg de la Krautenau, entre la maison ci après désignée et propriété Zocher, derrière M. Wager négociant et la veuve Graff, estimée 2500 fr, acquise par acte passé à la Chambre des contrats le 18 mars 1786
2. la moitié d’une maison et dépendances sise en cette ville rie appelée Spiesengasse quai des Chevaux n° 138, d’un côté l’immeuble susdésigné, d’autre la Sr Asal tisserand, derrière les hoirs Lauth, évaluée à 500 fr, acquise du Sr Kayser emballeur à la Douane
3. la moitié d’une maison sise à Strasbourg place St Etienne n° 18 à l’entrée de la rue de la Croix, d’un côté celle du Sr Glock brasseur, d’autre celle du Sr Kieffer chandelier, derrière la propriété du Sr Fabian, estimée 8000 fr – la contre moitié des trois articles ci dessus dépend de la succession de Marie Salomé Heiligenstein épouse du Sr Fritz
4. le tiers par indivis à une maison ayant communauté de cour et de puits avec la maison Miltenberger ci devant Fries et avec celle appartenant à la fabrique St Nicolas affecté au logement du sacristain de ladite paroisse sise en cette ville rue d’Or quartier des Charrons n° 25, d’un côté le Sr Kreig charron, d’autre le Sr Waegeli, boulanger, derrière ladite cour, estimée 800 fr
5. le tiers par indivis d’une maison avec appartenances et dépendances en cette ville rue d’Or ou quartier des Charrons n° 4, entre l’auberge à la Pomme d’Or et la maison du Sr Jean Frédéric Schaaff baquetier, derrière ladite maison, estimée 400 fr – les deux autres tiers appartiennent à Jean Chrétien Arnold maçon. Le titres de propriété ne s’est point retrouvé
6. une maison construite en bois à rez de chaussée surmontée de deux étages avec un petit jardin sur le devant, cour, grange, écurie et puits située à Strasbourg Faubourg de la Krautenau rue de l’Abreuvoir n° 37, d’un côté la fabrique de chicorée appartenant au Sr Baumann, d’autre le Sr Kientz jardinier et Karcher propriétaires, devant la rue, derrière le Sr Fritz défunt, estimée 1920 fr, acquise de Chrétien Wick, charpentier, fondé de pouvoir de Marie Salomé née Schultz veuve de Jacques Margraff, maçon, et Marie Salomé Margraff femme de Vendelin Hähnemann, Catherine Marguerite Margraff femme dudit Wick, Marie Madeleine Margraff femme de Louis Danner, charpentier, Marie Anne Margraff et Elisabeth Margraff les deux majeures suivant acte reçu par M° Hatt le 30 novembre 1822
mobilier 859 fr, créances 130.400 fr, ensemble 144.620 fr et meubles ensemble 145.479 fr
acp 169 (3 Q 29 884) f°115-v du 16.8. – Mobilier 859, créances 130.400 – Total 131.295
Immeubles ban de Strasbourg, la moitié d’une maison à la Krutenau rue des bestiaux, 2500
la moitié dune maison quai des chevaux n° 138, 500
la moitié d’une maison place St Etienne n° 18, 8000
le tiers d’une maison rue d’Or n° 25, 800
le tiers d’une maison même rue n° 4, 400
une maison rue de l’abreuvoir n° 37, 1920, total 143.120 francs
Comme le mentionne l’inventaire dressé après sa mort en 1880, la maison revient à Jean Guillaume Fritz, dernier des enfants Fritz, qui institue Charles Auguste Schoop pour son légataire universel.
Charles Auguste Schoop fait démolir les maisons n° 8 et 10 et vend en 1882 les terrains à l’entrepreneur de bâtiment Jacques Klein (voir le plan et l’acte au n° 8)
Jacques Klein et Anne Marie Baumann d’une part, l’horticulteur Jean Frédéric Zocher et Louise Grünenwald d’autre part échangent un terrain qui fait partie d’une grande propriété sise 10, rue des Bestiaux
1881 (30.11.), Strasbourg 8 (114), Gustave Edouard Loew, N° 13.650
30 November 1881. Tausch – sind erschienen herr Jacob Klein, Bauunternehmer, und seine von ihme ermächtigte Gattin frau Anna Maria Bachmann, beide wohnend zu Straßburg, einerseits
2. herr Johann Friderich Zocher, Handelsgärtner, und seine von ihme ermächtigte Gattin frau Luise Grünenwald, beide wohnend zu Straßburg, anderseits, dieselbe schließen hiemit folgenden Tauschvertrag
Ehegatten Klein überlassen hiermit tauschweise zu vollem Eigenthum unter solidarischer Gewähr gegen Störungen, Entwährung, Vorzugsrechte, Hypotheken und sonstige Behinderungen an die dieses annehmenden Ehegatten Zocher
Eine Fläche zu fünf Aren zwölf Centiaren abgetrennt von einer nun zur neu angelegten Fritzgasse gehörigen fläche zu 10 Aren 52 Centiaren, welche wieder von dem großen Anwesen Viehegasse N° 10 in Straßburg genommen ist. Diese hiermit vertauschten 5 Ares 12 Centiaren liegen an Anwesen der Ehegatten Zocher und an den Kleinschen Ehegatten verleibender 5 Ares 40 Centiaren fraglicher Fläche, vorn an der Fritzgasse.
Herr Klein kaufte die 10 Ares 52 Centiaren von dem Rentner und früheren Baumeister Herrn Karl August Schoop in Straßburg laut einer die Quittung über den Preis enthaltenden Urkunde des dortigen Notars Pierron vom 29. Juli letzthin, überschrieben am hiesigen Hypothekenamte den 27. August darauf, Band 1956 Nr. 58. Herr Schoop hatte dieselbe vor dem am 10. November 1879 verstorbenen Rentner herrn Johann Wilhelm Fritz in Straßburg geerbt, von welchem er durch in ein am 20. November 1879 bei Notar Pierron hinterlegtes eigenhändiges Testament vom 10. August 1873 zum Universallegatar eingesetzt war. In den Besitz des Nachlasses wurde herr Schoop eingewiesen durch ein bei dem vorigen Notar am 25. Oktober 1880 in Ausfertigung hinterlegte Verfügung des kaiserlichen landgerichtsdirektors in Straßburg vom 15. desselben Monats. In dem Kaufvertage vom 29. Juli letzthin ist bemerkt, daß die Erwerbstitel des Fritz’schen Eigenthums in einem Kaufvertrage vor Notar Zimmer vom 2. März 1830 aufgeführt sind.
Dagegen überlassen hiermit Ehegatten Zocher tauschweise zu vollem Eigenthum unter solidarischer Gewähr gegen Störungen, Entwährung, Vorzugsrechte, Hypotheken und sonstige Behinderungen an die dieses annehmenden Ehegatten Klein
Sieben Aren zwölf Centiaren Grundfläche, abgetrennt von ihrem Anwesen zu Straßburg, Viehgasse N° 4 und 6 und begrenzt einerseits von herrn Kieffer, anderseits vom Restbestande des Zocher’schen Anwesens, am einen Ende vom Klein’schen Anwesen, am andern von dem Klein’schen Ehegatten bleibenden Reste der 10 Aren 25 Centiaren. Nach Erklärung der Zocher’schen Ehegattin hat herr Zocher das Anwesen, von welchem hiermit 7 Aren 12 Centiaren wegvertauscht werden, von seinen Eltern, der Ehegatten herrn Johann Friedrich Zocher, handelsgärtner, gestorben im Jahre 1867, und frau Friederika Kremer, gestorben in 1871, geerbt, von welchen er ausweislich einer Offenkundigkeitsurkunde des Notars Loew vom heutigen, welche vor oder mit gegenwärtigem tausche zur Registrirung kommt, alleiniger Erbe war. Ehegatten Klein verlangen nicht die Vorlage älterer Erwerbstitel.
Auf dem beigehefteten Plan, welcher von den Parteien als ächt bestätigt und mit dem Notar gegen Veränderung gezeichnet wurde, sowie mit gegenwärtigem Tausche zur Registrirung kommt, sind die vertauschten flächen eingezeichnet und erscheint das an Ehegatten Zocher abgetretene Grundstück in blauer, das an Ehegatten Klein abgetrennte in Rosafärbung. Die Parteien sind bereits seit den 15. September dieses Jahres als dem Tage des mündlichen Abschlusses dieses Tausches im Genusse des empfangenen Grundstücke und tragen von dort an die Steuern und Auflagen daran.
In folge dieses Tausches, welcher bei dem gleichen Werthe von keiner Seite zu einer herauszahlung Anlaß gibt, kann jede Partei von heute an über das empfangene Grundstück eigenthümlich und nutznießlich frei verfügen (…) Zum Zwecke des Ansatzes der Registrirungsgebühren wird ein jedes der vertauschten Grundstücke auf einen Jahresertrag von 300 Mark und ein Kapital von 6000 Mark angeschlagen.
acp 719 (3 Q 30 434) f° 77-v du 6.12.
Jacques Klein et Marie Bachmann vendent au voyageur de commerce Jacques Lœb et à sa femme Sophie Richert le n° 10 à l’angle de la rue des Bestiaux et de la rue Fritz. Les vendeurs ont construit le bâtiment sur un terrain provenant de deux achats à Charles Auguste Schoop (voir le n° 8) et d’un échange avec Frédéric Zocher.
1884 (2.7.), Strasbourg 1 (226), Alfred Ritleng aîné n° 12.404
2. Juli 1884. Verkauf für 41.600 Mark – sind erschienen Herr Jacob Klein Architect und seine von ihm ermächtigte Ehefrau Maria geborne Bachmann, beisammen in Strassburg domicilirt und wohnhaft, welche erklärten zu verkaufen (…)
an Herrn Jacques Loeb, Reisender und dessen von ihm ermächtigte Ehefrau Sophie geborene Richert beisammen in Strassburg domicilirt und wohnhaft, solidarische Käufer hier gegenwärtig und dies annehmend nachbeschribenes Besitzthum nämlich
Ein zu Strassburg Viehgasse N° 10 belegenes Wohnhaus erbaut auf gewölbtem Keller mit Erdgeschoß, drei Stockwerken und Speicher, mit Zubehörungen und dependenzien, die Ecke der Viehgaße und der Fritzgaße bildend, grenzend einerseits und vorn an die genannten Gaßen, anderseits an besitzthum Klein, hinten an Besitzthum Zocher, alles von einer Oberfläche von ungefähr 255 Quadratmeter 75 Quadratdezimeter im Kataster eingetragen unter Section O N° 941.p.
Im Verkaufe sind ferner einbegriffen alle Oefen die darzu gehörende Röhre sowie die Bauchkessel, welche sich in dem fraglichen Besitzthum befinden und den Verkäfern angehören
Eigenthumsherkunft. Die Verkäufer erklären daß Sie dieses Besitzthum erbaut haben auf terrain, welchen sie erworben hatten
A. Zum theil von Herrn Karl August Schoop, Rentner und dessen Ehefrau Eugenie Ott, beisammen in Paris wohnhaft, auf Grund eines Kaufvertrages errichtet vor Notar Pierron zu Straßburg am 18. October 1882, registrirt und im Hypothekenamte von Strassburg überschrieben den 23. November nachher Band 2037 N° 44 und amtlich einregistrirt Band 1484 N° 292.
B. Zum theil von denselben Eheleuten Schoop, auf Grund eines Kaufvertrages, Quittung des Preises enthaltend errichtet vor genanntem Notar Pierron den 29. Juli 1881, registrirt und im Hypothekenamte von Strassburg überschrieben den 27. August nachher Band 193 N° 48
Die von dieser zwei Erwerbungen herrührenden terrains waren ein Sondergut des Herrn Schoop, um dieselbe ererbt zu haben in der Verlassenschaft des Herrn Johann Wilhelm Fritz bei Leben Rentner zu Straßburg, wo derselbe ledigen Standes ohne Pflichterben zu hinterlassen den 10. November 1879 gestorben ist, auf Grund dessen eigenhändigen Testaments vom 10. August 1873 und eines Codizills vom 5. Mai 1878, nach Vollziehung der gesetzlichen Formalitäten auf der Amtstube des Notars Pierron hinterlegt nach Urkunde dieses Notars vom 20. Novembris 1879. Herr Schoop ist im Besitz dieses Universallegates eingewiesen worden auf Grund einer Ordonnanz des den Herrn Landgerichtspräsidenten vertretenden Herrn Landgerichtsdirektors Herrn Wachter vom 15. October 1880, wovon eine vollziehbare Verfertigung den Notar Pierron hinterlegt worden ist nach Urkunde dieses Notars vom 25. October 1880. Ein Inventar des Nachlasses des verstorbenen Herrn Fritz ist durch genannten Notar Pierron am 28. April 1880 aufgenommen worden. Für das frühere Eigenthumsherkunft berufen sich die Parteien auf einem Kaufvertrag des damaligen Notars Louis Friedrich Zimmer zu Straßburg vom 2. März 1830.
C. und zum theil von Herrn Johann Friedrich Zocher, Gärtner und dessen Ehefrau Louise Grienwald von Straßburg auf Grund eines tauschvertrages errichtet vor Notar Loew zu Straßburg den 30. November 1881 registrirt. Herr Zocher erklärte in diesem Vertrage daß der durch ihn im tausch gegebene theil terrain von dem Nachlasse seiner Eltern der Eheleute Zocher-Kremer herrührt, deren einziger Erbe er war, sowie solches übrigens hervorgeht aus einem Notorietätsakte errichtet vor Notar Loew in Straßburg am 30. November 1881. – Bedingungen (…) – Hypothekar Verhältnis (…) – Kaufpreis, 41.600 Mark (…) – Civilstand. Die Eheleute Klein erklären daß Sie in erster Ehe unter dem Rechtsbestande der gesetzliche Gütergemeinschaft verheirathet sind, in Ermanglung eines Ehevertrags
acp 751 (3 Q 30 466) f° 60 du 3.7.
Le marchand Jacques Loeb épouse en 1872 Marie Sophie Richert. Les actes de décès (voir plus bas) mentionnent que le mari est juif et la femme luthérienne.
Mariage, Strasbourg (n° 536)
Du 6° jour du mois de juillet l’an 1872 à dix heures du matin. Acte de mariage de Jacques Loeb, majeur d’ans, né en légitime mariage le 10 octobre 1846 à Strasbourg, domicilié à Strasbourg, marchand, fils de feu Joseph Loeb, cordonnier décédé à Strasbourg le 19 janvier 1869 et de feu Rosine Schwartz, décédée à Strasbourg le 8 janvier 1868
et de Marie Sophie Richert, majeure d’ans, née en légitime mariage le 28 février 1845 à Strasbourg, domiciliée à Strasbourg, repasseuse, fille de Jean Richert, mesureur juré à la halle aux blés et de Sophie Bintz, conjoints domiciliés à Strasbourg (i 7)
Jacques Lœb et Sophie Richert hypothèquent la maison au profit du tonnelier André Marbach. La police d’assurance qui décrit sommairement le bâtiment est jointe à l’acte.
1886 (27.3.), Strasbourg 8 (132), Gustave Edouard Lœw
27. März 1886. Schuldverschreibung – ist erschienen herr Jacques Loeb, Reisender, und seine von ihm ermächtigte Gattin frau Sophie Richert, beide wohnend zu Straßburg, dieselben bekennen hiermit,
an den mitanwesenen, dieß annehmenden herrn André Marbach, Küfer, wohnend in Straßburg, ein darlehen von 3200 Mark zu schulden (…)
Hypothek-Bestellung. Ein zu Strassburg, Viehgasse N° 10 belegenes Wohnhaus erbaut auf gewölbtem Keller mit Erdgeschoß, drei Stockwerken und Speicher, mit Zubehörungen, die Ecke der Viehgasse und der Fritzgasse bildend, grenzend einerseits und vorn an die genannten Gassen, anderseits an Besitzthum Klein, hinten an Besitzthum Zocher, alles zu einer fläche von ungefähr 255 Quadratmeter 75 Quadratdezimeter, im Kataster eingetragen unter Section O N° 941.p.
Eigenthumsnachweis. Ehegatten Loeb kauften das Anwesen von den hiesigen Ehegatten herrn Jakob Klein, Architekt, und Frau Marie Bachmann, laut Urkunde des Notars Ritleng des Ältern dahier vom 2. Juli 1884, überschrieben am Hypothekenamte Straßburg am 11. desselben Monats Band 2166 Nr 33, mit amtlicher Einschreibung Band 1536 Nr 202.. Vom bedungenen Preise zu 21.600 Mark ist über 14.400 Mark im Vertrage quittirt, die restigen 27.200 Mark wurden Käufer angewiesen, zur Entladung der Verkäufer an den eingetragenen Hypothekengläubiger (…) Standes- und Hypothekverhältnisse. Es erklären Ehegatten Loeb daß sie beide in erster Ehe und bei dem Mangel eines Ehevertrags in gesetzlicher Gütergemeinschaft leben (…)
(Police d’assurance) Vaterländische Feuer-Versicherungs-Actien-Gesellschaft in Elberfeld. Police N° 1715. Anfang der Versicherung am 2. December 1882. Versicherte Summe Mark 40.000
Herrn bürgers J. Klein in Strassburg im Elsaß auf das deselbst massiv in Stein unter harter dachung dreistöckig außer dem Erdgeschoß erbauten Wohnhaus ohne Gewerbbetrieb, welches in der Viehgasse sub No. 10 belegen und daselbst Ecke mit der Fritzengasse bildet und in obigem Antrage näher beschrieben ist, inclusive der darin befindlichen Oefen, die Summ von M. 40.000
Jacques Lœb et Sophie Richert hypothèquent la maison au profit de Frédérique Richert, veuve du tonnelier André Marbach
1902 (3 und 4.10.), Gustave Edouard Lœw, n° 36.154
Schuldbrief – Jakob Loeb, Reisender, und dessen Ehefrau Sophie Richert zu Straßburg
zu gunsten der noch ungeteilten Gütergemeinschaft, welche bestanden hat zwischen dem in diesem Jahr verstorbenen Küfer Andreas Marbach dahier und seiner jetzigen wittwe Friederike geb. Richert, heute dargestellt durch Sie Wittwe und deren minderjährige Tochter Georgette Sophie Emma, über ein baares Darlehen von M. 27.200
acp 1001 (3 Q 30 716. II) f° 92-v n° 1960 du 7.10. – Pfand, ein Wohnhaus zu Strassburg Viehgasse N° 10
Marie Sophie Richert et Jacques Loeb meurent successivement début 1903. La femme a institué son mari pour légataire universel et Jacques Loeb son frère Charles Loeb, marchand à Paris
1903 (10.3.), Gustave Edouard Lœw n° 36.317
Inventar über der Nachlässe der Eheleute Nachlässe Jakob Loeb, Handelsreisender, verstorben am 8. Februar 1903 und Maria Sophie Richert gestorben am 1. Januar 1903
für Karl Loeb, Kaufmann in Paris als einziger Erbe seines Bruders Jakob Loeb auf Grund Testaments Loew vom 7. Februar 1903. Jakob Loeb war einziger Erbe seiner Frau zufolge eigenhändigen Testaments vom 15. Mai 1902. Verheuratung 1873 ohne Ehevertrag. Frau Loeb hatte als Pflichterbin hinterlassen ihre Mutter Sophie Bintz Wittwe Johann Richert hier zu 1/8, dieselbe starb hier am 13. Februar 1903 beerbt von 2 Kindern 1. Karoline Friederike Richert Wittwe Andreas Marbach, Küfer hier, 2) Johann August Richert, Schriftsetzer hier, welche das Pflichtteil ihrer Mutter geltend machen.
acp 1008 (3 Q 30 723. III) f° 42 n° 2890 du 12.3. (Tab. Bd. 85 Bl. 104 N. 101 – Erb. Erkl. 1/VII 03 278/152 – Tab. Bd. 85 Bl. 141 N° 113, E. E. 1/VII 03 278/153 – Tab. Bd. 85 Bl. 16 N° 202, E. E. 11/VIII.03 279/226) Bewegliche Sachen. Laufendie Miete für möblirte Zimmer
Ein Hausanwesen Viehgasse 10 Flur 31 Nr 14, 2,29 a. Hf. Whs u. N.G., Nutzungswert 2800 M
Verbindlichkeiten – Nachlass der Frau. Garderobe 68, Schulden 199
Nachlass des Manns, Garderobe 197, laufende Miete 100, Ersatzforderung an die Gemeinschaft für bezahlte Schulden 582 (Summe) 879 – Schulden 715, weitere Schulden des Nachlasses der Frau 87
Sparkassengeld 28, laufende Zinsen 4
Marie Sophie Richert meurt le premier janvier 1903 dans sa maison 10, rue des Bestiaux.
Décès, Strasbourg (n° 5)
Strassburg am 2. Januar 1903. Vor dem Standesbeamten erschienen heute der Privatier Jakob Loeb, wohnhaft in Strassburg Viehgasse 10, und zeigte an, daß seine Ehefrau Maria Sophie geborene Richert, 57 Jahre 10 Monat alt, evangelischer Religion, wohnhaft in Strassburg, geboren zu Strassburg, Tochter des verstorbenen Bäckers Johann Richert, zuletzt hier wohnhaft gewesen und dessen Wittwe Sophie geborener Bintz, hier wohnhaft, zu Straßburg am ersten Januar des Jahres 1903 Vormittags um halb ein Uhr verstorben sei (i 3)
Jacques Lœb meurt le 8 février. Son frère Charles Lœb déclare le décès.
Décès, Strasbourg (n° 395)
Strassburg am 9. Februar 1903. Vor dem Standesbeamten erschienen heute der Kaufmann Karl Loeb, wohnhaft in Paris-Frankreich, und zeigte an, daß der Rentner Jakob Loeb, 56 Jahre alt, israelitischer Religion, wohnhaft in Straßburg. geboren zu Strassburg, Wittwer von Sophie geborner Richert, Sohn der verstorbenen Eheleute Joseph Loeb, Schuhmacher und Rosine geborner Schwartz, zuletzt hier wohnhaft gewesen, zu Straßburg Viehegasse 10 am 8. Februar des Jahres 1903 Nachmittags um ein Uhr verstorben sei (i 188)
Charles Loeb hypothèque la maison au profit de Frédérique Richert, veuve du tonnelier André Marbach en garantie de legs faits à la créancière et à ses filles.
1903 (6.3.), Gustave Edouard Lœw n° 36.819
Hypothekbestellung – Karl Loeb, Kaufmann in Paris
zu gunsten von Friederike Richert Wittwe des Küfers Andreas Marbach, Langstr. 100 hier und deren Tochter Georgette Sophie Emma Marbach geb. am 26. Juli 1882, Klarinleherein hier, unter der elterlichen Gewalt ihrer Mutter stehend
auf ein Haus Viehegasse N° 10 zur Sicherheit eines Vermächtnisses von 10.000 M gemacht durch Sophie Richert Ehefrau Jakob Loeb zu Folge eigenhändigen Testamentes vom 15. Mai 1902 an genannte Wittwe Marbach und eines solchen von 4000 M gemacht durch genannten Jakob Loeb laut Testament Loew vom 7. Februar1903 an genannter Fräulein Marbach. Die genannten Eheleute Loeb-Richert sind gestorben hier am 8. Februar 1903 und 1. Januar 1903 und ist Karl Loeb deren Erbe bzw. Rechtanachfolger
acp 1008 (3 Q 30 723. III) f° 42-v n° 2893 du 12.3.
Charles Loeb expose infructueusement la maison aux enchères
1903 (23.4.), Gustave Edouard Lœw n° 37.016
Versteigerungsversuch auf Anstehen von Karl Loeb, Kaufmann in Paris
bezüglich des Hauses Viehegasse N° 10,Das einzige Angebot wird zurückgewiesen
acp 1008 (3 Q 30 723. III) f° 100-v n° 204 du 28.4.
Charles Lœb, demeurant 12, rue Choron à Paris, vend la maison à Caroline Mühlbacher, veuve de Christophe Herrmann
1903 (4.5.), Gustave Edouard Lœw n° 37.079
Verkauf mit Auflassung – Karl Loeb, Kaufmann in Paris rue Choron 12
an Caroline Mühlbacher Wittwe Christoph Herrmann Schlossermeister in Strassburg
Stadt Strassburg, das Anwesen Viehgasse N° 10 bestehend aus Wohnhaus mit Erdgeschoß und 3 Stockwerken, Ecke Viehgasse und Fritzgasse, katastrirt Flur 31-14, 2,29 a. Hof, Viehgasse 10 Whs. & Nebengeb. Nutzungswert 2400 M
Einseit neben, beerbt von dem am 8. Februar 1903 in Strassburg verlebten Bruder Jakob Loeb, Privatier als einzigen Erben
Genuß u. Steuren ab 1. Juni 1903. Preis 46.500 Mark, wovon bar bezahlt 2100. Der Rest 44.400 ist zahlbar mit Verzinsung vom 1. Juli 1903 ab an die Gläubiger (…)
acp 1012 (3 Q 30 727. III) f° 26-v n° 446 du 11.5.
Fille du brossier Jean Mühlbacher, Caroline Mühlbacher épouse en premières noces le commis négociant Guillaume Trensz : contrat de mariage, célébration
1873 (1.7.), Jean Georges Flach (minutes en déficit)
Ehe Vertrag zwischen 1) Wilhelm Trensz, Handlungs Commis zu Straßburg
2) Caroline Mühlbacher, großjährig zu Straßburg
acp 619 (3 Q 30 334) f° 32 n° 3371 du 1.7. Annahme der Gütergemeinschaft nach dem C.C. Rücknahme des mitgebrachten und ererbten
der Bräutigam bringt in die Ehe ein Mobilien abgeschätzt zu 900
Die Braut bringt in die Ehe 1) Mobilien 900, 2) Schuldscheinen 8900
Gegenseitige Schenkung dem überlebenden von der Nutznießung des samtlichen Nachlasses, vermindert zur Hälfte wann Kinder vorhanden sind aus der Ehe
Mariage, Strasbourg (n° 594)
Den 26. August 1873 um zehn Uhr des Morgens. Heiraths-Urkunde öffentlich abgeschlossen im Stadthause von Straßburg von Wilhelm Trensz, geboren zu Strassburg den 12. Juli 1845, Handlungsgehülfe wohnhaft zu Strassburg, ehelicher Sohn von Johann Trensz, Rentner zu Straßburg wohnhaft, hier gegenwärtig und einwilligend, und von weiland Catharina Salome Schubhan zu Strassburg gestorben in den hiesigen Standbüchern eingeschriebenen Urkunden den ersten April verflossenen Jahrs
und von Caroline Mühlbacher, geboren zu Strassburg den 30. Juni 1850, ohne Gewerb, wohnhaft zu Straßburg, volljährige eheliche Tochter von weiland Johann Mühlbacher, Bürstenbinder, zu Strassburg gestorben den 24. Juni 1865 und von weiland Margaretha Barbara Caroline Fritsch, zu Strassburg gestorben den 20. März 1859 (…) Die künftige Gattin legt einen gehörig registrirten den 29. Juli dieses Jahrs von Herrn Flach, Notar zu Straßburg wohnhaft errichteten Eheeinwilligung ihrer mütterlichen Großmutter Anna Kohler, Wittwe von Johann Jacob Fritsch Bäcker ohne Gewerb zu Straßburg wohnhaft vor. (…) daß den ersten August dieses Jahrs vor Herrn Flach Notar zu Straßburg wohnhaft ein Ehevertrag geschlossen worden ist (i 92)
Anne Kohler, veuve du cultivateur Jean Jacques Fritsch, consent au mariage de sa petite-fille
1873 (29.7.), Jean Georges Flach
Einwilligung von Anna Kohler Wb von Johann Jacob Fritsch lebend Ackerer zu Straßburg zur Verehelichung ihrer Enkelin Caroline Mühlbacher volljährig zu Straßburg mit Wilhelm Trensz allda
acp 618 (3 Q 30 333) f° 21 du 19.7.
Guillaume Trensz meurt en octobre 1874 en délaissant un fils
1874 (9.11.), Jean Georges Flach (minutes en déficit)
Inventar der Gütergemeinschaft die zwischen Wilhelm Trensz, Handlungs Gehülfe und Caroline Mühlbacher seiner Ehefrau zu Straßburg und vom Nachlasse des H. Trensz, den 22. October 1874 gestorben
errichtet durch die Wittwe handelnd als Theilnehmerin der Gütergemeinschaft nach Ehevertrag vor Notar Flach den 1. August 1873 und als Mutter von Julius Armand Trensz
acp 633 (3 Q 30 348) f° 70 n° 4316 du 11.11. Gemeinschafft, Mobilien zu 2439, Passiva 7700
Nachlass, Kleidung zu 353
Caroline Mühlbacher se remarie en 1881 avec le serrurier Michel Christophe Herrmann, originaire de Kirchheim sur le Neckar en Wurtemberg : contrat de mariage, célébration
1881 (25.2.), Jean Mossler
Ehevertrag – Michael Christoph Herrmann, Schlosserarbeiter zu Straßburg früher zu Cannstadt
und Caroline Mühlbacher, ohne Gewerbe zu Straßburg Wittwe erster Ehe von Wilhelm Trensz, Handlungscommis
acp 711 (3 Q 30 426) f° 57 n° 4013 du 26.2. – unter Annahme auf Errungenschaft beschränkten Gütergemeinschaft
Einbringen der Braut, Mobilien, Ausstände und Werthpapiere 11.437
Einbringen des Bräutigams in baar 2400
Eventuelle Schenkung durch den Bräutigam der Braut von 2400 M zu vollem Eigenthum aus den *sten Mitteln seines Vermögen. Eventuelle Schenkung der Braut dem Bräutigam eines Kindstheils in Eigenthum
Mariage, Strasbourg (n° 117)
Strassburg am 26. Februar 1881. Vor dem Standesbeamten erschienen heute zum Zwecke der Eheschließung 1. der Schlosser Christoph Michael Herrmann, evangelischer Religion geboren den 16. Januar des Jahres 1852 zu Kirchheim am Neckar (Württemberg), wohnhaft zu Cannstadt (Württemberg), Sohn der Ackerers Christoph Friedrich Herrmann und dessen Ehefrau Christine Magdalena geborner Bader, beide wohnhaft zu Kirchheim
2. die Caroline Mühlbacher, ohne Beruf, evangelischer Religion, geboren den 30. Juni des Jahres 1850 zu Strassburg, daselbst wohnhaft, Wittwe des Handlungsgehülfe Wilhelm Trensz, gestorben zu Strassburg den 22. October 1874, Tochter der verstorbenen Eheleute Johann Mühlbacher, Bürstenbinder und der Margaretha Barbara Caroline geborner Fritsch zuletzt wohnhaft zu Strassburg (i 120)
Michel Christophe Herrmann meurt en août 1899 en délaissant une fille. La succession comprend une maison rue des Balayeurs.
1900 (4.2.), Joseph Allonas, n° 18.480
Erbverzeichnis über den Nachlass des zu Straßburg wohnhaft gewesenen allda den 26. August 1899 verstorbenen Schlosser meisters Michel Christoph Herrmann Ehemann von Caroline Mühlbacher, Wittwe erster Ehe von Wilhelm Trensz
auf Anstehen von I. vorgenannter Wittwe, handelnd eigenen Namens a) wegen der zwischen ihr und ihrem verstorbenen Ehemann laut Ehevertrags vor Notar Mossler vom 25. Februar 1881 bestandenen Errungenschaftgemeinschaft, b) wegen ihrer Ersatzforderungen, c) als Schenknehmerin ihres Ehemanns laut obigen Ehevertrags einer Summ von 2400. M
II. Caroline Bertha Herrmann, geb. 28. November 1881, ohne Gewerbe hier, Viehgasse 3 emanzipirt am 2. September 1899 also großjährig, handelnd als einzige Erbin am Nachlass ihres obengenannten Vaters – Testament nicht vorhanden
acp 965 (3 Q 30 680. I) f° 93-v n° 3854 du 8.2. Die Mobilien, Forderungen, Schulden etc. sind einzeln ausgeführt in einer Sterbefallerklärung über obigen Nachlasse vom 8. Februar 1900 Band 250 N° 563.
Gütergemeinschaft, 1) Mobilien 2557, 2) Baargeld 635, 3) Ausstände, 4) rückständige Mietzinsen 796, 5) Lebens Versicherung über 8000 M. (Summe) 11.989
6) Immöbel, Stadt Strassburg O 1135 5,76 a. Hofreithe, Feggasse , O 1204 0,24 a. ein Besitzthum bestehend aus Wohnhaus mit Erdgeschoß, Keller, 3 Stockwerken, & dreistökigen Nebensgebäude, Hof, Stall für 10 Pferde in der Feggasse N° 16. Eigenthumsnachweis, Kauf vor Notar Loew in Vertretung des amt. Notars vom 7. August 1899.
Passiva 1) Hypothekarschulden 53.354, 2) Chirographarschulden 10.863 (Summa) 64.208
Ersatzforderungen I. des Erblassers a) für eingebrachts Baargeld 2400, b) bezogenes mütterliches Erbteil laut Theilung vor dem Amtsnotariat zu Lauffen vom 24. Mai 1884, 1387, c) für dito vätterliches Erbteil laut Theilung vor dem Amtsnotariat zu Lauffen vom 13. IX 1900 nach Abzug der Kosten 2360. d) für ererbtes Vermögen aus dem Nachlasse seines Onkels Eberhard Ludwig Bader aus Kirchheim laut Theilung vor dem Amtsnotariat zu Lauffen vom 28. August 1893 nach Abzug der Kosten 336, Summe 6483
II. der Wittwe Herrmann für indie Ehe gebrachte nicht mehr vorhandener Forderungen 9936, die in Ehe eingebrachte Mobilien der Frau sind noch in Natur vorhanden
B. Nachlass, Garderobe 70, Weitere passiva der Gemeinschafft, Restkosten für obigen Kauf vom 7. August 1899, 107
Lors du partage, les immeubles de la communauté reviennent à la veuve.
1910 (6.1.), Frédéric Heng, n° 2887
Theilung I. der Errungenschaftsgemeinschaft bestanden laut Ehevertrag Mossler, hier, vom 25. Februar 1881 zwischen Eheleuten Michael Christoph Herrmann, Schlossermeister und Karoline Mühlbacher, Wittwe I. Ehe von Wilhelm Trensz
II. des Nachlasses des hier am 26. August 1899 gestorbenen Michael Christoph Herrmann,
auf Anstehen 1) der genannten Wittwe Herrmann, hier, Frankengartenstraße 8.bis, 2° Karoline Berta Herrmann, ledig, ohne Gewerbe hier
acp 1095 (3 Q 30 810. I) f° 45-v n° 2440 du 25.1. (E.E. 8 II 1900, 254/563) Zufolg Ehevertrag hat der Erblasser seiner Ehefrau eine Summe von M. 2400 geschenkt bzw. vermacht. p. Herrmann wurde beerbt von seiner oben unter 2 genannten Tochter. Inventar Allonas vom 7. Februar 1900.
A. Gesamtgut Herrman-Mühlbacher. Aktiv. 1) Mobilien 2557, 2) baares Geld 635, 3) Mietzinsen 796, 4) Lebens Versicherung 8000, 5) Ausstände 12.882,
6) Grundstück, Stadt Strassburg Flur 35 n° 22 5,76 a. Hof, 3 Wohnhäuser, Stall Feggasse N° 16. Nutzungswert 4480, 78.000, Eigenthumsnachweis, Kauf Loew v. 7. August 1899.- Summe 102.3871
Passiv 1) 36.238, 2) 17.105, 3) Chirographarschulden 11.033, 4) Ersatzforderungen des Erblassers 6483, 5) Ersatzforderungen der Wittwe 9936 – Summe 80.794, bleibt Aktiv 22.077, wovon jedem Ehegatten ½, 11.038
B. Nachlass des p. Herrmann, Aktiv 1) 182 des Gesamtgutes 11.038, 2) Garderobe 70, 3) Ersatzforderungen 6483, Summa 17.562 – Passiv, Vermächtnis 2400, Rest 15.162
Zutheilungen, I. Wittwe Herrmann 1) des Grundstück, 78.000 (…)
La maison est inscrite au cadastre à partir de 1920 au nom de Raymond Müller et de Berthe Herrmann.
Fille des précédents, Berthe Herrmann épouse en 1910 l’ingénieur Raymond Hippolyte Ferdinand Müller, fils du comptable Louis Hippolyte Müller. Les époux légitiment un enfant né l’année précédente à Lausanne.
Mariage, Strasbourg (n° 31)
Strassburg am 8. Januar 1910. Vor dem Standesbeamten erschienen heute zum Zwecke der Eheschließung 1. der Maschinenbautechniker Raymund Hippolytus Ferdinand Müller, katholischer Religion geboren am 13. Mai des Jahres 1886 zu Strassburg, wohnhaft in Strassburg, Schiffleutgasse 18, Sohn des Buchhalters Ludwig Hippolyt Müller und seiner Ehefrau Magdalena geborenen Stotz wohnhaft in Straßburg
2. die Karoline Berta Herrmann, ohne Beruf, evangelischer Religion, geboren den 28. November des Jahres 1881 zu Strassburg, wohnhaft in Strassburg, Tochter des verstorbenen Schlossermeisters Christoph Michael Herrmann, zuletzt wohnhaft in Strassburg, und seiner Ehefrau Karoline geborenen Mühlbacher, wohnhaft in Strassburg (…) der Maschinenbautechniker erklärte, daß er das von seiner Ehefrau am 29. August 1909 zu Lausanne (Schweiz) geborene Kind Raymund Armand als das seinige anerkenne (i 21)